Ouragan Felix
|
Ouragan Felix
| ||||||||
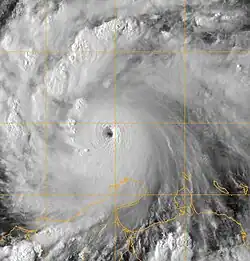
L'Ouragan Felix, le 2 sept. 2007 | ||||||||
| Apparition | 31 août 2007 | |||||||
|---|---|---|---|---|---|---|---|---|
| Dissipation | 5 septembre 2007 | |||||||
| Catégorie maximale | Ouragan catégorie 5 | |||||||
| Pression minimale | 929 hPa | |||||||
| Vent maximal (soutenu sur 1 min) |
270 km/h | |||||||
| Dommages confirmés | ≥ 250 000 USD (2 007) | |||||||
| Morts confirmés | ≥ 161, disparus ≥ 71 | |||||||
| Blessés confirmés | N/D | |||||||
| Zones touchées | ||||||||
Trajectoire de l'Ouragan Felix
| ||||||||
| Saison cyclonique 2007 dans l'océan Atlantique nord | ||||||||
L'ouragan Felix est la 6e tempête tropicale, et le 2e ouragan de la saison cyclonique 2007 dans le bassin de l'océan Atlantique. C'est également le 2e ouragan majeur, et de catégorie 5 pour ce bassin en 2007 et le 2e ouragan de catégorie 5 à avoir touché terre à cette intensité, ce qui n'avait jamais été observé plus d'une fois dans une seule saison cyclonique du bassin Atlantique. Son développement est considéré de type explosif, passant de dépression tropicale à ouragan de catégorie 5 en moins de 48 heures.
À cause des dommages et des pertes de vie, l'organisation météorologique mondiale a retiré le nom Felix des listes futures de noms d'ouragans pour le bassin Atlantique et l'a remplacé par Fernand[1].
Évolution météorologique

Le 24 août 2007, une onde tropicale a quitté les côtes de l'Afrique vers l'ouest sans convection profonde associée et une faible courbure en V inversé de bas niveau[2]. D'abord difficile à localiser par satellite, l'axe de l'onde s'est déplacé à travers un environnement humide et développa une zone d'orages dispersés. Le 25 août, l'imagerie satellitaire a montré un important mouvement cyclonique précisément au nord de la zone de convergence intertropicale. L'onde a alors développé une convection modérée à forte, et le 27 août, une zone de basse pression de 1 012 hPa se développa à 1 340 km au sud-est de Praia (Cap-Vert).
Pendant les jours suivants, le système manqua de s'organiser de façon significative; la convection augmenta rapidement le 31 août, et un avion-chasseur d'ouragan explorant le système signala la présence d'une circulation fermée de bas niveau, caractéristique d'une dépression. En conséquence, le National Hurricane Center commença à lancer des avis de tempête concernant la dépression tropicale 6 à 21 h UTC le 31 août alors qu'elle était localisée à 295 km au sud-est des îles du Vent. La dépression étant située au sud de d’une forte dorsale, cela la força à un déplacement vers l'ouest-nord-ouest. Le système développa cependant des bandes de précipitations sous un cisaillement de vent faible et des températures chaudes de la mer.
La tempête tropicale passa au-dessus des îles du Vent le 1er septembre avant de se renforcer jusqu'à atteindre le statut d'ouragan. Le 2 septembre, l'ouragan changea constamment de direction, mais il sembla se diriger vers le Honduras. Aruba subit des dommages par le vent et des pertes de courant[3]. À Curaçao plusieurs maisons furent inondées mais Bonaire peu de dommages furent signalés. Une personne est portée disparue à Puerto Cabello[4].
Le 3 septembre, il a atteint une intensité de catégorie 5 sur l'échelle de Saffir-Simpson. À 21 h UTC le 3 septembre, l'ouragan fut rétrogradé temporairement à la catégorie 4 mais redevint de catégorie 5 à 10 h 40 UTC, le 4 septembre. Felix toucha la côte précisément au sud de la frontière entre le Nicaragua et le Honduras dans la région connue sous le toponyme de côte des Mosquitos. Il faiblit ensuite rapidement dans les terres. La circulation principale se dissipa le 5 septembre, laissant derrière elle des précipitations diluviennes.
Le 6 septembre, les restes de Felix se dirigèrent vers l'océan Pacifique mais se dissipèrent en arrivant sur l'État de Tabasco au Mexique[5].
Bilan humain
| Lieu | Morts | Disparus | Blessés |
|---|---|---|---|
| Venezuela | - | 1 | - |
| Nicaragua | 130 | 70 | - |
| Honduras | 31 | - | - |
| Total | 161 | 71 | - |
Retrait
Le , les membres du comité sur les cyclones tropicaux de l'organisation météorologique mondiale (OMM) ont retiré le nom Felix des listes futures de noms d'ouragans pour le bassin Atlantique lors de leur réunion annuelle qui a eu lieu à Orlando (Floride), États-Unis. Il a été remplacé par Fernand dans la liste pour la saison 2013[1].
Notes et références
- 1 2 (en) « Dean, Felix and Noel "Retired" from List of Storm Names », NOAA, (consulté le )
- ↑ Wallace, « August 24 Tropical Weather Discussion », National Hurricane Center, (consulté le )
- ↑ (en) Associated Press, « Hurricane Felix lashes Dutch Caribbean islands », (consulté le )
- ↑ (en) Agence France Presse, « Furious Hurricane Felix heads for landfall », (consulté le )
- ↑ (en) Jack Beven, « Hurricane Felix Tropical Cyclone Report », National Hurricane Center, (consulté le )
Liens externes
- Felix (2007) sur meteo.fr
- Felix (2007) sur meteorologic.net
|
|
- Portail de la météorologie
- Portail du XXIe siècle
_2115zVis.jpg)
