Saison cyclonique 2022 dans l'océan Atlantique nord
| Saison cyclonique 2022 dans l'océan Atlantique nord | |||||||||||||||||||||
Trajectoires des systèmes tropicaux de 2022. | |||||||||||||||||||||
| Dates | |||||||||||||||||||||
|---|---|---|---|---|---|---|---|---|---|---|---|---|---|---|---|---|---|---|---|---|---|
| Début officiel | |||||||||||||||||||||
| Fin officielle | |||||||||||||||||||||
| Début de l'activité | |||||||||||||||||||||
| Fin de l'activité | |||||||||||||||||||||
| Dégâts | |||||||||||||||||||||
| Dommages | Jusqu'à 121 milliards $ | ||||||||||||||||||||
| Morts | Au moins 343 | ||||||||||||||||||||
| Blessés | inconnu | ||||||||||||||||||||
| Faits marquants | |||||||||||||||||||||
| Le plus intense | Fiona (par la pression de 931 hPa) Ian (par les vents de 260 km/h) |
||||||||||||||||||||
| Le plus coûteux | Ian (67 à 113 milliards $US) | ||||||||||||||||||||
| Le plus meurtrier | Ian (au moins 161) | ||||||||||||||||||||
| Nombre d'événements | |||||||||||||||||||||
|
|||||||||||||||||||||
| Chronologie | |||||||||||||||||||||
| |||||||||||||||||||||
La saison cyclonique 2022 dans l'océan Atlantique nord est la saison des ouragans atlantiques qui officiellement se déroule selon l'Organisation météorologique mondiale du au (les dates réelles varient d'année en année), mais pour laquelle des prévisions météorologiques tropicales sont régulièrement publiées dès le . Le National Hurricane Center (NHC) américain émet des avis et avertissements visant ce bassin océanique pour les cyclones tropicaux mais également, depuis 2017, pour des « cyclones tropicaux potentiels »[N 1],[1]. Les avis pour ces tempêtes potentielles ont le même contenu que les avis normaux mais incluent la probabilité de développement.
La première tempête nommée fut Alex le 5 juin. C'était la première fois depuis 2014 dans l’Atlantique nord, qu'il n'y a pas eu de cyclone tropical nommé avant le , début officiel de la saison. Il a fallu attendre la fin du mois pour qu'un système mal organisé soit déclaré un cyclone tropical potentiel et le pour qu'il devienne la tempête tropicale Bonnie juste avant de frapper le Costa Rica et le Nicaragua. Ce dernier est devenu le premier système depuis 2016 à survivre le passage de l'Atlantique au Pacifique et même à y devenir un ouragan.
Après la faible tempête tropicale Colin, dissipée le , aucun autre cyclone ne s'est formé durant deux mois principalement à cause d'une injection de poussières venant d'Afrique de l'ouest. Septembre a cependant vu un déferlement de 7 systèmes dont les ouragans majeurs Fiona et Ian, ce dernier faisant près de 150 morts et des dégâts s'élevant dans les dizaines de milliards $US. En octobre, le rythme a diminué grandement mais Julia a fait plus de 90 morts tout en devenant le second cyclone de la saison à traverser dans le Pacifique avant de se dissiper. En novembre, il y a eu un regain d'activité avec trois ouragans de catégorie 1 durant la première moitié du mois, dont Nicole qui a causé des dégâts importants en Floride. Ce dernier système est devenu post-tropicale le , terminant la saison.
Prévisions
Avant et pendant la saison, plusieurs services météorologiques nationaux et agences scientifiques prévoient combien de tempêtes tropicales, d'ouragans et d'ouragans majeurs (Catégorie 3 ou plus sur l'échelle de Saffir-Simpson) se formeront pendant une saison. Ces organismes comprennent le Consortium sur les risques de tempête tropicale (TSR) du University College de Londres, le National Weather Service de la National Oceanic and Atmospheric Administration (NOAA) américaine et l'Université d'État du Colorado (CSU). Les prévisions comprennent des changements hebdomadaires et mensuels des facteurs importants qui influencent ce nombre.
Certaines de ces prévisions prennent également en compte ce qui s'est passé au cours des saisons précédentes et l'état du cycle de l'ENSO comme la présence d'un événement La Niña ou El Niño. En moyenne, une saison des ouragans de l'Atlantique entre 1981 et 2010 a comporté douze tempêtes tropicales, six ouragans et trois ouragans majeurs, avec un indice d'énergie cyclonique accumulée (ACE) compris entre 66 et 103 unités[2].
Prévisions d'avant saison
| Source | Date | Tempêtes nommées | Ouragans | Ouragans majeurs |
Réf. |
|---|---|---|---|---|---|
| TSR | 18 18 18 |
8 8 9 |
3 4 4 |
[3] [4] [5] | |
| CSU | 13 à 16 19 20 18 |
6 à 8 9 10 8 |
2 à 3 4 5 4 |
[6] [7] [8] [9] | |
| NCSU | 17 à 21 | 7 à 9 | 3 à 5 | [10] | |
| Met Office | 18 16 |
9 6 |
4 4 |
[11] [12] | |
| NOAA (NWS) | 14 à 21 14 à 20 |
6 à 10 6 à 10 |
3 à 6 3 à 5 |
[13] [9] | |
| CEPMMT/ Météo-France |
18 à 19 17 à 18 |
9 à 10 7 à 8 |
- | [14] [15] | |
| ––––––––––––––––––––––––––––––––––––––––––––––––––––––– | |||||
| Tempête nommées | Ouragans | Ouragan majeurs | Réf. | ||
| Moyenne (1981–2010) | 12,1 | 6,4 | 2,7 | [16],[17] | |
| Moyenne (1991–2020) | 14,4 | 7,2 | 3,2 | [18] | |
| Record d'activité maximum | 30 (saison 2020) | 15 (saison 2005) | 7 (saisons 2005 et 2020) | [2] | |
| Record de plus faible activité | 4 (saison 1983) | 2 (saison 1982) | 0 (saison 1994) | [2] | |
Le , la CSU a publié une prévision à très long terme pour la saison des ouragans 2022. On y mentionnait une activité légèrement supérieure à la moyenne et, avec une probabilité de 40 %, 13 à 16 tempêtes nommées, 6 à 8 ouragans, 2 à 3 ouragans majeurs et un indice d'énergie cumulative des cyclones tropicaux (ACE) d'environ 130 unités[6]. Le TSR a également publié une prévision le qui mentionnait une activité tropicale globale proche de la moyenne pour son indice ACE, mais anticipait la formation de 18 tempêtes tropicales, 8 ouragans et 3 ouragans intenses au cours de la saison[3]. Ces prévisions se basaient sur l'attente d'une condition neutre d'El Niño – Oscillation australe (ENSO) jusqu'au troisième trimestre de 2022 mais l'incertitude était grande[19].
Le , le TSR a émis une première mise à jour pour la saison 2002 qui serait plus active que la moyenne mais pas autant que lors des deux années précédentes. L'organisme prévoyait 18 tempêtes nommées, 8 ouragans, dont 4 majeurs, et une ACE de 138[4]. Le lendemain, la CSU a publié sa première prévision régulière avec une activité bien supérieure à la moyenne comprenant 19 tempêtes nommées, 9 ouragans, dont 4 majeurs, et un indice ACE de 160 unités[7],[20],[21]. Les deux prévisions étaient basées sur des températures de surface de la mer supérieures à la moyenne dans l'océan Atlantique subtropical et la mer des Caraïbes ainsi qu'un La Niña allant de neutre à un faible, ce qui ne produit qu'un faible cisaillement des vents sur le bassin.
Le , c'était au tour de l'université d'État de la Caroline du Nord (NCSU) d'émettre ses prévisions d'une saison supérieure à la moyenne avec 17 à 21 tempêtes nommées, 7 à 9 ouragans dont 3 à 5 ouragans majeurs[10].
Le , le Met Office a publié sa première prévision, lui aussi mentionnant une saison plus active que la normale avec 70 % de probabilité d'avoir 18 tempêtes nommées avec 9 ouragans dont 4 majeurs[11]. Le lendemain c'était au tour du Climate Prediction Center de la NOAA de faire de même, prévoyant de 14 à 21 tempêtes et 6 à 10 ouragans dont 3 à 6 majeurs[13].
Le , Météo-France et le Centre européen de prévision météorologique à moyen terme (CEPMMT) ont à leur tour prévu une activité cyclonique significativement supérieure à la moyenne sur l'Atlantique tropical soit 18 à 19 cyclones nommés (±4), dont 9 à 10 ouragans (±3), et une énergie autour de 160. La fourchette des valeurs montrait une grande incertitude sur les facteurs en jeu soit : l'intensité de l'événement La Niña et les températures de l’océan Atlantique prévus légèrement supérieures aux normales de saison[14].
Mises à jour en saison
Le , le TSR a publié sa troisième prévision pour la saison, augmentant légèrement son nombre à 18 tempêtes nommées, 9 ouragans et 4 ouragans majeurs en grande partie sur la persistance de la faiblesse de La Niña au troisième trimestre de l'année[5].
Le , la CSU a mis à jour ses prévisions saisonnières, augmentant le nombre de cyclones tropicaux à 20 tempêtes nommées, 10 ouragans, 5 ouragans majeurs et un indice ACE global de 180 unités. L'organisme bas sa prévision sur un risque plus faible d'El Niño au cours de la saison et des températures de surface dans l'Atlantique tropical plus chaud que la moyenne[8],[22].
Le , c'était au tour du Met Office de mettre à jour ses prévisions avec 16 tempêtes nommées, 6 ouragans et 4 ouragans majeurs, soit une légère baisse[12]. Deux jours plus tard, la NOAA et le CSU ont révisé légèrement à la baisse leurs perspectives d'activité, mais toujours avec des chiffres dépassant la moyenne sur 30 ans, surtout à cause d'un refroidissement anormal dans l'Atlantique subtropical oriental et central[9]. Le , c'était au tour de Météo-France d'ajuster ses prévisions avec 17 à 18 cyclones nommés (± 4), dont 7 à 8 ouragans (± 2), et une énergie de 150, soit légèrement à la baisse car les températures de surface de l’océan Atlantique nord était plus faibles que prévu mais toujours supérieures aux normales[15].
Noms des tempêtes
La liste des noms utilisée pour nommer les tempêtes et les ouragans pour 2022 sera la même que celle de la saison cyclonique 2016, sauf Martin et Owen qui ont remplacé respectivement Matthew et Otto qui ont été retirés à cause de leurs impacts. Les noms utilisés en 2022 qui pourraient faire l'objet d'un retrait à cause de leurs effets seront annoncés au lors de la réunion de l'Organisation météorologique mondiale.
Depuis 2021, le comité sur les ouragans de l'Organisation météorologique mondiale a décidé de ne plus utiliser des noms provenant de l'alphabet grec, utilisation qui a créé certains problèmes antérieurement, au cas où la liste principale serait épuisée comme en 2020[23]. En remplacement, il a été convenu de créer une liste complémentaire de noms par ordre alphabétique pour toutes les lettres de l'alphabet (à l'exclusion des lettres Q, U, X, Y et Z peu usitées)[24].
|
Chronologie des événements

| D | T | 1 | 2 | 3 | 4 | 5 |
Résumé de la saison
| Cyclone | Directs | Indirects | Dommages (Milliards $US) |
Réf. |
|---|---|---|---|---|
| Alex | 4 | 0 | >0,025 | [25],[26] |
| Bonnie | 5 | 0 | >0,025 | [26],[27],[28] |
| Colin | 0 | 1 | N/D | [29] |
| Earl | 0 | 2 | N/D | [30] |
| Fiona | 29 | 2 | >3 | [26],[31],[32],[33],[34],[35],[36],[37],[38],[39] |
| Hermine | 33 | 0 | N/D | [40] |
| Ian | 161 | 3 | 67 à 113 | [41],[42],[43] |
| Julia | 91 | 0 | N/D | [44],[45],[46],[47],[48],[49],[50] |
| Karl | 1 | 0 | N/D | [51] |
| Nicole | 7 | 4 | ~1 | [52],[53],[54] |
| Total | 331 | 12 | 71 à 121 | |
| 343 | ||||
Début
Pour la première fois depuis 2014 dans l’Atlantique nord, il n'y a pas eu de cyclone tropical nommé avant le , début officiel de la saison[55]. Cependant, les restes de l'ouragan Agatha qui a frappé la côte ouest du Mexique le menaçaient de se redévelopper sur la mer des Caraïbes au tout début juin[56],[57]. C'est finalement le que la saison a démarré avec la formation dans le golfe du Mexique du premier système potentiel, qui est devenu la tempête tropicale Alex le 5 sur l'Atlantique après avoir traversé la Floride.
Le , le NHC a commencé à suivre un système mal organisé traversant l'Atlantique tropical. Il a été déclaré un cyclone tropical potentiel le 27 alors que le mauvais temps se dirigeait vers les Petites Antilles et la côte sud-américaine. Bien qu'il les ait atteintes, il n'est devenu la tempête tropicale Bonnie que le , juste avant de frapper le Costa Rica et le Nicaragua. Pour la première fois depuis 2016, ce système a survécu au passage de l'Atlantique au Pacifique le lendemain où il est devenu un ouragan. Le , la faible tempête tropicale Colin est apparue sur les Carolines et s'y est dissipée rapidement.
Depuis la dissipation de Colin, l'activité a été inexistante avec le plus long laps de temps entre les systèmes depuis la saison cyclonique de 1999 malgré le renforcement de La Niña. Ainsi, le , le National Hurricane Center et le CSU ont signalé que le total saisonnier de l'énergie cumulative des cyclones tropicaux n'était que de 2,8 unités par rapport à la moyenne de 1991 à 2020 de 12,3[58]. Au , aucun nouveau système n'était à l'horizon et c'est aussi la première fois depuis 2017 qu'à cette date en août il n'y avait pas encore eu un seul ouragan atlantique (Franklin est devenu un ouragan le )[9]. Selon le météorologue Bob Henson, cela serait dû au déplacement depuis des semaines d'une couche d'air sec et chargé de particules venant du Sahara à travers l'Atlantique tropical, réduisant l'instabilité et l'humidité nécessaire pour alimenter les averses et les orages dans cette zone normalement favorable au développement[58].
Explosion de cas en septembre
Après deux mois sans activité, Danielle est apparue le et est devenue le premier ouragan de la saison le lendemain. C'est la première fois qu'aucun cyclone tropical ne s'est formé en août dans l'Atlantique depuis la saison 1997[59] et seulement la troisième fois qu'il n'y a pas eu d'ouragans nommés en août depuis 1960[60]. Ce cyclone tropical s'est formé exceptionnellement loin au nord, près de 38 °N, soit l'une des formations les plus au nord jamais enregistrées pour une tempête nommée en septembre[59]. Il a erré au milieu de l'Atlantique nord plus d'une semaine.
Le , c'était au tour d'Earl de se former au large des Petites Antilles puis de remonter vers le nord, passer près des Bermudes à la catégorie 2 et de devenir une tempête des latitudes moyennes en arrivant au sud-est de Terre-Neuve le . À un certain moment, le National Hurricane Center pensait qu'Earl deviendrait un ouragan majeur mais une combinaison de facteurs ont prévenu cette intensification. C'est ensuite Fiona qui est apparu le au large des Petites Antilles a durement touché la Guadeloupe et Porto Rico avant devenir le premier ouragan majeur de la saison le en direction des Bermudes, qu'il passe à l'ouest à la catégorie 4, pour finalement dévaster les provinces de l'Atlantique du Canada les 24 et comme tempête post-tropicale.
Pendant que Fiona rageait sur l'ouest du bassin Atlantique, deux faibles tempêtes tropicales, Gaston et Hermine, se sont formées sur l'Est. La première a donné pluie et vents forts vents aux Açores, la seconde aux îles Canaries. Le , Ian s'est lui formé au large de l'Amérique du Sud dans la mer des Caraïbes et est devenu un ouragan trois jours plus tard en se dirigeant vers l'ouest de Cuba. Ce dernier a été frappé par Ian devenu ouragan majeur le , y causant des dégâts importants. L'ouragan est devenu un ouragan de catégorie 4 sur le golfe du Mexique avant de toucher la côte sud-ouest de la Floride le et de causer des dégâts historiques en traversant cet État. Il a ensuite débouché dans l'Atlantique comme tempête tropicale mais est redevenu un ouragan de catégorie 1 dans de toucher la côte des Carolines le et de se dissiper dans les terres.
Octobre et novembre
Le mois de septembre s'est terminé par une faible dépression tropicale, Onze, au milieu de l'Atlantique tropical. Octobre a débuté de la même manière avec Douze mais fut suivi par le cyclone tropical potentiel Treize qui a pris du temps à s'organiser le long de la côte du Venezuela. Il y a quand même causé des glissements de terrain mortels avant de devenir une tempête tropicale, puis l'ouragan Ian, qui a frappé le Nicaragua à la catégorie 1, et d'être le second système de la saison à passer dans le bassin du Pacifique nord-est.
Du 11 au , la faible tempête tropicale Karl a erré dans la baie de Campêche, au large du sud du Mexique, mais le cisaillement des vents et l'injection d'air sec aux niveaux moyens en ont eu raison. Il s'est ensuivi deux semaines sans activité. Le , un bulletin pour un cyclone tropical potentiel fut émis pour une système mal organisé au large des îles ABC qui deviendra la tempête tropicale Lisa le lendemain. Celle-ci a traversé la mer des Caraïbes et est devenue un ouragan de catégorie 1 avant de frapper le Belize le . Faiblissant rapidement ensuite, Lisa a rejoint la baie de Campêche le 4 en tant que dépression tropicale et celle-ci s'est dissipée le lendemain.
Presque en même temps, Martin est apparu inespérément entre les Bermudes et les Açores. Il est devenu un ouragan de catégorie 1 avant de transiter vers une intense tempête des latitudes moyennes, entre Terre-Neuve et l'Irlande, le . Selon les données historiques de la NOAA, Martin est l'ouragan le plus au nord jamais observé aussi tard en saison dans l'Atlantique, soit à une latitude de 45,6 ° N. Il bat le record tenu par un ouragan sans nom qui a atteint 45,12 ° N le 6 novembre 1891. Ce sont les eaux exceptionnellement chaudes, de plus de 2 degrés Celsius au-dessus de la moyenne, qui ont aidé Martin à battre ce record[61]. La tempête tropicale Nicole s'est formée le au nord de Porto Rico et a frappé le nord des Bahamas le 9. Elle est devenue un ouragan avant de toucher la côte Est de la Floride le 9, l'un des rares ouragan de novembre à toucher les États-Unis. Après sa traversée de l'État, le système est retombé à dépression tropicale en Géorgie puis a accéléré vers le nord-est, devenant post-tropical le . Ceci a terminé la saison 2022.
Cyclones tropicaux
Tempête tropicale Alex
|
Alex
| |
![]() Image satellite. |
![]() Trajectoire. |
| Durée de vie | – |
|---|---|
| Intensité | 110 km/h (70 mph) (1-min), 984 hPa (mbar) |
L'ouragan de catégorie 2 du Pacifique nommé Agatha a frappé la côte sud-ouest du Mexique près de Puerto Ángel, Oaxaca le [62]. Le système s'est ensuite déplacé vers le nord-est tout en faiblissant rapidement pour dégénérer en une dépression résiduelle sur le terrain montagneux du sud du Mexique. Cependant, l'onde tropicale en altitude a poursuivi vers la péninsule du Yucatán. À 21 h UTC le , le NHC a émis un premier bulletin pour le cyclone tropical potentiel Un[N 1] alors qu'un large centre dépressionnaire mal défini et associé à une zone orageuse entre la péninsule du Yucatán et Cuba pouvait devenir un système tropical au cours des 24 heures suivantes[63]. Des veilles de tempête tropicale ont été lancées pour Cuba et la Floride par la même occasion, surtout pour des pluies torrentielles.
Le , le système n'a pas réussi à développer un centre unique en traversant le sud du golfe du Mexique à cause du cisaillement des vents et d'un apport d'air sec dans son quadrant ouest, ressemblant plutôt à un creux allongé. À 3 h UTC le 4, le NHC rapportait que les accumulations de pluie sur l'ouest de Cuba dépassaient les 250 mm en 24 heures[64]. À 12 h UTC, le cyclone potentiel a atteint le sud-ouest de la Floride, toujours mal organisé et en accélération vers le nord-est. À 21 h UTC, il ressortait sur l'Atlantique[65].
C'est durant la nuit suivante, à 6 h UTC, que le NHC a finalement reclassé le système comme tempête tropicale nommée Alex à 265 km à l'est-nord-est de Fort Pierce, Floride[66]. Les Bermudes furent mises en alerte, fermant entre autres les écoles et annulant les transports publics pour le lundi [67]. La nuit du 5 au , la tempête a atteint son maximum avec des vents de 110 km/h et une pression centrale de 988 hPa tout en entamant sa transition post-tropicale. À 12 h UTC, elle est passée à 165 km au nord de l'archipel et des vents de 89 km/h avec rafales à 116 km/h ont été rapportés par une bouée météorologique[68]. À 21 h UTC, le NHC a émis son dernier message à propos d'Alex alors que le système est devenu une tempête des latitudes moyennes à 525 km au nord-est des Bermudes, se dirigeant rapidement vers l'Atlantique nord[69].
Le précurseur d'Alex a fait 4 morts à Cuba ainsi que des dégâts importants par inondation[25]. Des inondations ont aussi frappé le sud de la Floride avec une accumulation de pluie jusqu'à 377 mm à Hollywood[70],[71]. Par contre aux Bermudes, les dégâts furent mineurs[72].
Tempête tropicale Bonnie
|
Bonnie
| |
![]() Image satellite. |
![]() Trajectoire. |
| Durée de vie | – (passage dans l'océan Pacifique) |
|---|---|
| Intensité | 85 km/h (50 mph) (1-min), 997 hPa (mbar) |
Une onde tropicale est sortie de la côte africaine, bien au sud des îles du Cap-Vert, et le NHC a commencé à l'inclure dans son bulletin de surveillance le [73]. En se dirigeant vers l'ouest, elle est a développé une zone de convection de mieux en mieux organisée. Le , la probabilité de formation d'un système tropical a dépassé 50 % alors que l'onde était à plus de 1 600 km à l'est-sud-est des Petites Antilles. Le lendemain à 21 h UTC, le premier bulletin pour le cyclone tropical potentiel Deux a été émis alors qu'un avion chasseur d'ouragans a rapporté que, bien qu'encore mal organisée, l'onde montrait des vents de force de tempête tropicale en certains endroits. Les gouvernements de Trinité-et-Tobago ainsi que de la Grenade ont émis des veilles et alertes cycloniques[74]. Les veilles ont rapidement été étendues à la côte caribéenne du Venezuela et aux îles ABC néerlandaises.
Un peu après 0 h UTC le , le système, encore sans centre dépressionnaire défini, est passé sur l'île de la Trinité. Il est entré ensuite dans l'extrême sud de la mer des Caraïbes alors que les veilles et alertes étaient allongées à la côte colombienne[75]. Se déplaçant à plus de 30 km/h le long de la côte du Venezuela, il dépassa Curaçao moins de 24 heures plus tard et les veilles furent étendues jusqu'au Costa Rica et au Nicaragua[76]. Le cyclone potentiel a ensuite traversé la péninsule de Guajira pour déboucher dans le sud-ouest de la mer des Caraïbes.
Finalement libre de la friction de la côte et dans des conditions favorables à son développement, le système s'est mieux organisé. À 13 h 15 UTC le , le NHC l'a donc reclassé tempête tropicale Bonnie à la suite des informations recueillies par un avion de reconnaissance. Elle était alors à 370 km à l'est sud-est de Bluefields, Nicaragua[77]. S'intensifiant jusqu'à avoir des vents soutenus de 85 km/h, la tempête a touché la côte à la frontière entre le Costa Rica et le Nicaragua à 3 h UTC le [78]. Bonnie a ensuite traversé ces pays, laissant de fortes accumulations de pluie, et est ressortie sur l'océan Pacifique vers 12 h UTC[79]. C'était la première fois qu'un cyclone tropical a survécu au passage de l'Atlantique au Pacifique depuis l'ouragan Otto en 2016[80]. La tempête s'est transformée dans ce bassin océanique en ouragan Bonnie le , juste au sud de Salina Cruz, Oaxaca, Mexique.
À Trinité-et-Tobago, le cyclone potentiel a causé des dommages minimes, certaines régions recevant de fortes pluies causant des inondations alors que le vent a soufflé quelques toits et cassé des arbres[81]. À Tobago, une femme de 79 ans qui se trouvait à l'intérieur d'une maison en bois qui s'est effondrée en est sortie indemne[82]. Plus de 200 000 clients dans tout le pays ont perdu l'accès à l'eau potable, ce qui a affecté 26 communautés et plusieurs installations de traitement de l'eau, les pluies rendant les eaux turbides[83].
Au Costa Rica, le gouvernement a confirmé que 3 572 personnes avaient été évacuées dans différentes parties du pays vers des abris, après avoir enregistré des inondations et des glissements de terrain[84]. Dans la province de Chiriquí, au Panama, plusieurs familles ont été évacuées en raison de glissements de terrain et de fortes pluies[85]. En Colombie, le gouvernement a mis l'île de San Andrés en Alerte. Au Venezuela, les classes et liaisons aériennes ont été suspendues[86]. Au Nicaragua, Bonnie a provoqué le débordement de rivières sur tout le territoire selon les médias officiels. Une fois passée dans le Pacifique, la tempête a causé au Salvador des chutes d'arbres et de murs en plus d'inondations qui ont entraîné et renversé des véhicules[27].
Bonnie a fait un mort au Salvador et au moins quatre décès au Nicaragua[27],[28].
Tempête tropicale Colin
|
Colin
| |
![]() Image satellite. |
![]() Trajectoire. |
| Durée de vie | – |
|---|---|
| Intensité | 65 km/h (40 mph) (1-min), 1011 hPa (mbar) |
Une zone dépressionnaire a émergé au large de la côte de Savannah en Géorgie à 18 h UTC le [87]. À 9 h UTC le lendemain, la tempête tropicale Colin s'est formée à 80 km au sud-ouest de Myrtle Beach, Caroline du Sud, entrant dans les terres mais longeant la côte vers le nord-est[88].
À 3 h UTC le 3, le NHC a déclassé le système en dépression tropicale alors qu'il était à 20 km au nord de Wilmington (Caroline du Nord) et que son organisation devenait problématique à cause du fort cisaillement des vents et d'air sec en altitude[89]. À 9 h UTC, le NHC l'a déclaré dépression résiduelle non tropicale en dissipation et a cessé ses bulletins[90].
Les pluies les plus intenses et les vents forts de Colin sont restés au-dessus de l'Atlantique. Les accumulations de pluie signalées allèrent ainsi de 50 à 75 mm dans certaines parties de l'intérieur des Carolines jusqu'à près de 180 mm au large de Charleston (Caroline du Sud)[91],[92]. Aucun dommage n'a été rapporté avec ce système mais il a cependant forcé l'annulation de certains événements de la longue fin de semaine de la fête nationale américaine du à Charleston (Caroline du Sud) et à Southport (Caroline du Nord) en raison de l'accumulation d'eau sur les terrains des événements et des risques pour les participants[93].
La dépression post-tropicale a provoqué de fortes vagues le long des plages. À Oak Island (Caroline du Nord) plusieurs nageurs ont dû être rescapés le et les autorités ont rapporté une noyade[29].
Ouragan Danielle
|
Danielle
| |
![]() Image satellite. |
![]() Trajectoire. |
| Durée de vie | – |
|---|---|
| Intensité | 150 km/h (90 mph) (1-min), 972 hPa (mbar) |
Une zone dépressionnaire s'est formée le long d'un front en dissipation au-dessus de l'Atlantique subtropical central le [94]. Tôt le matin du , la perturbation était devenue suffisamment organisée pour être désignée Dépression tropicale Cinq[95], avant d'être ensuite reclassée en tempête tropicale Danielle à 15 h UTC à 1 545 km à l'ouest des Açores[96]. Danielle dérivait alors vers l'est à 2 nœuds (4 km/h), son déplacement entravé par un fort anticyclone d'altitude[97]. Cependant, son développement était favorisé par une température de surface de l'océan anormalement élevée pour la saison à cet endroit, soit environ 27 °C[97].
Le à 15 h UTC, le NHC a rehaussé le système à ouragan de catégorie 1 dans l'échelle de Saffir-Simpson, le premier ouragan de la saison 2022[98]. Son déplacement est devenu pratiquement nul ensuite[99]. Cela a produit une remontée d'eau froide qui l'a fait retomber temporairement en tempête tropicale tôt le lendemain matin[100]. Le système est redevenu ouragan dans la nuit du 3 au [101].
Danielle s'est ensuite lentement intensifié et a commencé à se déplacer vers le nord-nord-est[102]. Après avoir atteint un pic de vents soutenus de 150 km/h tôt le , l'intensité du système a commencé à fluctuer. Le , sa trajectoire s'incurvait vers le nord-est et son diamètre avait considérablement élargi, on retrouvait des vents de force de tempête jusqu'à 370 km de son centre, causant de fortes houles sur une vaste zone[103]. Le système montrait également des signes de transition extratropicale à l'approche d'un creux frontal venant de l'ouest[104].
À 9 h UTC le , Danielle est retombé au niveau de tempête tropicale à 1 060 km au nord-nord-ouest des Açores en se déplaçant à 26 km/h[105]. À 15 h UTC, le NHC a déclaré que le système était devenu un cyclone post-tropical avec des vents soutenus de 100 km/h[106]. Cette dépression des latitudes moyennes devait ensuite se déplacer sur une boucle dans le sens inverse des aiguilles d'une montre pendant les 36 heures suivantes puis se diriger vers le sud-est en faiblissant[106]. Bien que faiblissante, elle contenait encore beaucoup d'humidité et est allée se dissiper au large du Portugal le [107],[108].
Ouragan Earl
|
Earl
| |
![]() Image satellite. |
![]() Trajectoire. |
| Durée de vie | – |
|---|---|
| Intensité | 165 km/h (105 mph) (1-min), 954 hPa (mbar) |
Une onde tropicale est sortie de la côte ouest de l'Afrique le [109]. Elle a lentement traversé l'Atlantique tropical tout en ayant beaucoup de difficulté à s'organiser. Le , l'onde dépassait malgré tout les 80 % de probabilité de devenir un cyclone tropical en approchant des Petites Antilles[110]. À 3 h UTC le , le NHC l'a finalement déclaré une tempête tropicale, nommée Earl, alors qu'elle était à 295 km à l'est de la portion nord des Petites Antilles, grâce à un rapport d'avion chasseur d'ouragans[111].
Le matin du , Earl passait à 125 km au nord de Saint-Thomas (îles Vierges des États-Unis), suffisamment loin pour avoir un effet minimal[112]. Cependant, un homme et une femme sont morts à Salinas (Porto Rico) après avoir été frappés par la foudre alors qu'ils faisaient de la motomarine, et un autre homme a été blessé dans le même événement[30]. Le lendemain, sa trajectoire s'est incurvée vers le nord et le , le service météorologique des Bermudes a émis une première veille cyclonique[113].
À 0 h UTC le , le NHC a rehaussé Earl au niveau d'ouragan de catégorie 1 alors qu'il était à 885 km au sud des Bermudes, se basant sur les données reçues d'un avion de reconnaissance[114]. À 3 h UTC le 8, Earl a atteint la catégorie 2 de l'échelle de Saffir-Simpson à 570 km au sud des Bermudes grâce à un affaiblissement du cisaillement des vents en altitude[115]. Il avait alors un œil de 90 km de diamètre.
La nuit du 8 au , le centre d’Earl est passé à environ 145 km à l'est-sud-est des Bermudes[116]. Les vents soutenus à l'aéroport international L.F. Wade ont atteint 60 km/h avec des rafales à 80 km/h et au Musée national des Bermudes on a enregistré une rafale de 108 km/h[117],[118]. Plus de 1 500 clients à travers l'archipel ont perdu l'électricité mais aucun dommage à grande échelle n'a été constaté, seulement la chute localisée d'arbres et de branches[117],[118].
L'ouragan s'est dirigé ensuite vers le nord-est tout en accélérant et fluctuant d'intensité, tombant brièvement à la catégorie 1 malgré la température de surface de la mer favorable[119],[120]. Le Service météorologique du Canada a émis des avertissements de pluie et de vents pour la péninsule d'Avalon à Terre-Neuve[121]. Le au matin, Earl montrait des signes de transition extratropicale avec ses nuages s'étirant d'est en ouest et son œil perdant rapidement sa définition à l'approche d'un creux frontal. À 21 h UTC, le NHC a déclassé le système à tempête frontale intense lorsqu'il était à 345 km au sud du cap Race, Terre-Neuve[122]. Un virage vers l'est-nord-est à déplacement lent et un faiblissement graduel était attendu les jours suivants.
La forte houle cyclonique a causé des bris au brise-lame sur la côte dans la région de Trepassey à Terre-Neuve[123]. Ces bris s'ajoutèrent à ceux de l'ouragan Larry de 2021 ce qui a isolé 25 maisons et environ 35 personnes[124]. De 175 à 200 mm de pluie sont tombés sur la région de Saint-Jean de Terre-Neuve, du 10 en après-midi à tôt le matin du , causant des inondations le long de la rivière Waterford. Les inondations ont bloqué des voitures dans les rues, fermés des parcs et remplis des sous-sols. Des accumulations similaires ont aussi été rapportées sur le reste de la péninsule d'Avalon dont 208 mm à Paradise[124]. Les rafales maximales dans le sud-est de Terre-Neuve et à Saint-Pierre-et-Miquelon ont dépassé 80 km/h, atteignant même 114 km/h à l'île Verte et 58 nœuds (107 km/h) à Saint-Pierre mais ne faisant que des dégâts mineurs[125]. Les pertes assurées au Canada sont estimées entre 300 et 700 millions de dollars américains et plus de 100 millions dans les Antilles[36].
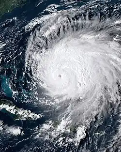
Ouragan Fiona
|
Fiona
| |
![]() Image satellite. |
![]() Trajectoire. |
| Durée de vie | – (post-tropical ensuite) |
|---|---|
| Intensité | 220 km/h (140 mph) (1-min), 931 hPa (mbar) |
Tôt le , le National Hurricane Center a commencé à surveiller une onde tropicale sur l'Atlantique tropical central[126]. Le à 15 h UTC, le premier bulletin fut émis pour la dépression tropicale Sept située à 1 300 km à l'est des Petites Antilles[127]. À 1 h 45 UTC le 15, le système est reclassé tempête tropicale Fiona et les premières veilles ou alertes cycloniques sont émises pour les îles du nord de l'arc antillais peu après[128].
Vers 0 h UTC le 17, le centre de la tempête est passé juste au nord de la Guadeloupe, rasant la pointe nord de Grande-Terre, débouchant dans le nord de la mer des Caraïbes[129]. Après avoir ralenti et tourné vers l'ouest-nord-ouest, Fiona a été reclassé ouragan de catégorie 1 à 15 h UTC le au sud de Ponce (Porto Rico)[130]. À 19 h 20 UTC, le centre de l'ouragan a touché la côte de Porto Rico près de Punta Tocon avec une pression centrale de 986 hPa et des vents soutenus de 140 km/h[131].
.jpg)
Par la suite, Fiona a traversé le canal de la Mona et a touché la côte de la République dominicaine au sud de Punta Cana près de Boca de Yuma à 7 h 30 UTC le 19[132]. Le système est ensuite ressorti sur l'Atlantique [133]. À 21 h UTC, le NHC a rehaussé Fiona à la catégorie 2 de l'échelle de Saffir-Simpson[134].
À 6 h UTC le 20, Fiona est reclassé premier ouragan majeur (catégorie 3) de la saison 2022 alors qu'il était à 70 km au sud-sud-est de l'île de Grand Turk[135]. À 6 h UTC le 21, l'ouragan est passé à la catégorie 4 à 170 km nord des îles Caïcos, en direction des Bermudes[136]. Le système passe à 200 km des Bermudes à 12 h UTC le [137].
À 3 h UTC le 24, Fiona est devenu un cyclone post-tropical à 220 km à l'est d'Halifax (Nouvelle-Écosse) conservant cependant des vents soutenus de 165 km/h, équivalents à un ouragan de catégorie 2[138]. Par la suite, le système a touché le Cap-Breton et est entré dans le golfe du Saint-Laurent toujours très intense[139]. Il s'est ensuite dirigé vers le Labrador puis le Groenland.
Durant la nuit du 16 au 17, la Guadeloupe a reçu de grandes quantités de pluie et une personne est morte lorsque sa maison a été emportée dans les inondations à Rivière des Pères, un quartier de Basse-Terre[31]. Au , les autorités de Porto Rico rapportaient 25 morts avec le passage de Fiona, dont un homme de 58 ans qui s'est noyé lorsqu'emporté par une rivière dans la ville de Comerío, tandis qu'un autre dans la trentaine est mort dans l'incendie d'un générateur[32]. On rapporte deux morts en République dominicaine[33] et trois au Canada avec d'importants dégâts[34],[35].
Tempête tropicale Gaston
|
Gaston
| |
![]() Image satellite. |
![]() Trajectoire. |
| Durée de vie | – |
|---|---|
| Intensité | 100 km/h (65 mph) (1-min), 995 hPa (mbar) |
Le , le NHC a commencé à suivre une onde tropicale au milieu de l'Atlantique subtropical. Ayant originellement peu de chances de progresser, elle s'est graduellement mieux organisée et à 15 h UTC le 20, le premier bulletin pour la dépression tropicale Huit, située à 1 785 km à l'ouest-sud-ouest des Açores, a été émis[140]. À 21 h UTC, le NHC a rehaussé le système à tempête tropicale Gaston[141].
À 12 h UTC le , Gaston se trouvait à 550 km à l'ouest-nord-ouest de l'île de Faial dans les Açores et se dirigeait vers l'archipel qui fut mis en avertissement de tempête tropicale[142]. Vingt-quatre heures plus tard, elle était à 215 km au nord du même endroit.
Tournant au sud puis au sud-ouest, Gaston est passé à 75 km à l'ouest de Faial vers 3 h UTC le [143]. Vingt-quatre heures plus tard, la tempête était au sud-ouest des îles les plus à l'ouest des Açores et se dirigeait vers l'ouest.
Gaston a été reclassé comme une dépression post-tropicale à 3 h UTC le 26 par le NHC. Le système était alors à 825 km à l'ouest de l'île de Faial et s'en éloignait tout en faiblissant[144].
De fortes pluies et des vents ont été signalés dans les Açores avec la tempête tropicale, en particulier dans les îles occidentales et centrales[145].
Tempête tropicale Hermine
|
Hermine
| |
![]() Image satellite. |
![]() Trajectoire. |
| Durée de vie | – |
|---|---|
| Intensité | 65 km/h (40 mph) (1-min), 1002 hPa (mbar) |
Le , le NHC a commencé à surveiller une onde tropicale sur l'Afrique de l'Ouest. Elle a émergé au large des côtes du Sénégal le , et malgré l'intrusion d'air sec, elle s'est rapidement organisée pour devenir la dépression tropicale Dix le lendemain[146]. À 0 h UTC le 24, le NHC a rehaussé le système à tempête tropicale Hermine alors qu'il était à 470 km au nord-est des îles du Cap-Vert[147]. C'est l'un des rares cyclones tropicaux à se former si à l'est, entre le Cap-Vert et la côte africaine, depuis 1851[148]. À 21 h UTC le même jour, Hermine est retombé au niveau de dépression tropicale à 735 km au nord-nord-est du Cap-Vert[149]. Passant sur des eaux plus froides et subissant une fort cisaillement des vents en altitude, Hermine est devenu post-tropical le matin du et le NHC a cessé ses bulletins[150]. Le système résiduel a persisté pendant deux jours avant de se dissiper sur l'océan.
Hermine a donné de fortes pluies aux îles Canaries, provoquant des inondations localisées et des arbres abattus. Plus de 140 vols ont été annulés à travers l'archipel[151]. La pluie, qui a duré trois jours, a laissé des accumulations de 100 mm à plusieurs endroits et même de 345 mm en une seule journée à La Palma, le plus grand événement pluviométrique d'une seule journée des annales de l'archipel[152].
La tempête a traversé une partie de l'océan Atlantique connue sous le nom de la « Route des Canaries » utilisée par les migrants de plusieurs pays africains qui cherchent à immigrer aux îles Canaries. Un bateau pneumatique transportant 34 migrants du Sahara occidental a pris la mer vers le et a rencontré une mer agitée qui l'a fait dériver 9 jours se soldant par la mort de 33 d'entre eux[40].
Ouragan Ian
|
Ian
| |
![]() Image satellite. |
![]() Trajectoire. |
| Durée de vie | – (post-tropical ensuite) |
|---|---|
| Intensité | 260 km/h (160 mph) (1-min), 937 hPa (mbar) |
Le , le NHC a commencé à suivre une onde tropicale à l'est des Petites Antilles. Deux jours plus tard, elle est entrée sur le sud-est de la mer des Caraïbes, où furent signalées des rafales et de fortes pluies sur les îles ABC et sur la côte nord de l'Amérique du Sud le . Un fort cisaillement du vent en altitude dans le sillage de l'ouragan Fiona inhibait le développement d'un système en surface. Tôt le 23, la convection avait cependant augmenté et le NHC a émis son premier bulletin pour la dépression tropicale Neuf au nord des îles ABC[153]. À 3 h UTC le 24, le système fut rehaussé à tempête tropicale Ian alors qu'il était à 625 km au sud-est de Kingston (Jamaïque)[154]. Des veilles et avertissements cycloniques ont été émis pour la Jamaïque et les îles Caïmans, puis pour Cuba.
À 9 h UTC le , le NHC a reclassé Ian comme un ouragan de catégorie 1 alors qu'il était à 150 km au sud-ouest des îles Caïmans dans des conditions très favorables à un développement rapide[155]. Il est passé à 160 km à l'ouest des mêmes îles quelques heures plus tard et est devenu de catégorie 2 à 21 h UTC[156]. Les alertes cycloniques sont étendues à la Floride.
Au cours de la nuit du 26 au , Ian est passé à la catégorie 3 supérieure. Le centre a frôlé l'ouest de l'île de la Jeunesse, puis touché la côte de Cuba près de La Coloma dans la province de Pinar del Río avec des vents de 205 km/h et une pression centrale de 952 hPa à 8 h 30 UTC[157]. À 15 h UTC, il est passé dans le golfe du Mexique, ayant légèrement faibli à cause de la friction lors de son passage sur Cuba après que sa pression minimale a atteint 947 hPa sur terre[158].
Après être passé à l'ouest des Keys de Floride, le à 9 h UTC, Ian a atteint la catégorie 4 à 125 km à l'ouest sud-ouest de Naples (Floride) et a continué à s'intensifier et selon le rapport ultérieur du National Hurricane Center, il aurait même atteint la catégorie 5 à 12 h UTC[41],[159]. L'ouragan a touché la côte floridienne à 20 h 35 UTC juste au sud de Punta Gorda, légèrement moins fort[160]. Se déplaçant vers le nord-est sur terre, Ian a perdu rapidement de son intensité et de sa vitesse de déplacement. Il est redevenu une tempête tropicale à 9 h UTC le 29 à 70 km au sud-est d'Orlando (Floride) avant de rejoindre l'Atlantique quelques heures plus tard[161]. Ian a repris de la vigueur sur le Gulf Stream et est redevenu un ouragan de catégorie 1 à 390 km au sud de Charleston (Caroline du Sud) vers 21 h UTC et sa trajectoire a tourné vers le nord[162].
Le à 18 h 5 UTC, Ian a touché terre pour la troisième fois près de Georgetown (Caroline du Sud)[163]. Quelques heures plus tard, le NHC a reclassé le système en dépression des latitudes moyennes alors que la convection profonde avait cessé avec la perte de sa source d'énergie, l'océan Atlantique, ayant encore des vents soutenus de 110 km/h observés au large sur le radar météorologique[164].
Ian a causé des dégâts importants à Cuba mais catastrophiques en Floride et dans les Carolines. Les inondations ont particulièrement touchées les villes de Fort Myers Beach et de Naples en Floride. Des millions de personnes se sont retrouvées sans électricité et plusieurs ont été contraints de se réfugier sur leurs toits pour fuir les flots. En plus des dégâts, les îles barrière de Sanibel et de Pine Island ont été coupée du reste de la Floride quand leur pont ou chaussée ont été coupés. Au , on comptait au moins 148 morts et un grand nombre de personnes manquaient à l'appel. Dans le rapport final du National Hurricane Center du 3 avril suivant, le nombre de morts aux États-Unis a atteint 156 ce qui fait de l'ouragan Ian le 21e ouragan le plus meurtrier de l'histoire du pays selon le National Weather Service[165]. Les dommages selon l'organisme Risk Management Solutions est de plus de 67 milliards $US[42]. Le , la NOAA estimait ces coûts à 133 milliards $US[43].
Dépression tropicale Onze
|
Onze
| |
![]() Image satellite. |
![]() Trajectoire. |
| Durée de vie | – |
|---|---|
| Intensité | 55 km/h (35 mph) (1-min), 1008 hPa (mbar) |
Tôt le , le NHC a commencé à surveiller une onde tropicale située à plusieurs centaines de kilomètres à l'ouest-sud-ouest des îles du Cap-Vert. Celle-ci a évolué vers l'ouest mais est restée dans un environnement d'air sec avec des vents défavorables en altitude. Peu ou pas d'organisation s'est produite au cours des jours suivants alors qu'elle serpentait au-dessus de l'Atlantique tropical central. Le cisaillement des vents est devenu un peu plus favorable le et de la convection persistante désorganisée a commencé à se former autour d'une zone dépressionnaire sous l'onde. Grâce à une meilleure organisation des orages le , le NHC a finalement nommé la zone une dépression tropicale à 15 h UTC[166].
Le système a toujours eu à faire face à des conditions défavorables et à 21 h UTC le 29, il était détérioré au point que le NHC l'a reclassé dépression résiduelle et a cessé de le suivre[167]. La dépression Onze a toujours vécu en mer et n'a causé aucun dommage.
Dépression tropicale Douze
|
Douze
| |
![]() Image satellite. |
![]() Trajectoire. |
| Durée de vie | – |
|---|---|
| Intensité | 55 km/h (35 mph) (1-min), 1007 hPa (mbar) |
Tôt le , le NHC a commencé à surveiller une onde tropicale se déplaçant au large de la côte ouest de l'Afrique et associée avec une vaste zone d'orages. Se déplaçant dans un environnement propice à son développement, la perturbation est cependant restée désorganisée plusieurs jours sur l'Atlantique tropical oriental, au sud des îles du Cap-Vert. À partir du , la convection autour de son centre a commencé à s'étendre. Le 4, une petite circulation de surface bien définie s'est développée au sein de la perturbation, ce qui lui a valu d'être désignée dépression tropicale Douze à 21 h UTC à plus de 700 km à l'ouest des îles du Cap-Vert[168].
La dépression a toujours été dans un environnement peu favorable avec un cisaillement des vents d'altitude soufflant ses nuages loin du centre de surface et une injection d'air sec. Le NHC a fini par la déclarer dépression résiduelle à 3 h UTC le et cesser ses bulletins[169]. Ayant toujours été en mer, aucun dégât ne lui est associé.
Ouragan Julia
|
Julia
| |
![]() Image satellite. |
![]() Trajectoire. |
| Durée de vie | – (passé ensuite dans le bassin pacifique) |
|---|---|
| Intensité | 140 km/h (85 mph) (1-min), 982 hPa (mbar) |
Le , le NHC a commencé à suivre une onde à mi-chemin entre les îles du Cap-Vert et la côte sud-américaine qui montrait un potentiel de développement[170]. Le matin du , l'onde est passée sur le sud des Petites Antilles et est entrée dans la mer des Caraïbes, longeant ensuite la côte du Venezuela tout en développant graduellement une centre de surface[171]. Le à 15 h UTC, bien qu'encore mal organisé, le NHC a décidé de classer le système comme cyclone tropical potentiel Treize alors qu'il était à 240 km à l'est-sud-est de Curaçao[172]. Le gouvernement colombien a émis des alertes cycloniques pour la côte de la péninsule de Guajira et l'archipel de San Andrés, Providencia et Santa Catalina.
À 3 h UTC le , le NHC a rehaussé le système à dépression tropicale près des îles ABC[173]. À 15 h UTC, le système est passé à tempête tropicale, nommée Julia, à l'ouest de la péninsule de Guajira entrant sur des eaux très chaudes[174]. Les alertes cycloniques ont été allongées à la côte caribéenne du Nicaragua et du Honduras.
Le , des alertes ont été émises pour la côte pacifique du Nicaragua, du Honduras et du Salvador car le NHC prévoyait que Julia devait traverser ces pays en direction du Pacifique. À 23 h UTC, le NHC a émis un bulletin spécial pour dire que le système était devenu un ouragan de catégorie 1 en passant sur l'île de San Andrés[175].
Le à 7 h 15 UTC, ce dernier a touché à la côte nicaraguayenne près de Laguna de Perlas à son apex avec des vents soutenus de 140 km/h et une pression centrale de 982 hPa[176]. Les alertes furent allongées à la côte du Guatemala. À 15 h UTC, Julia est retombé à tempête tropicale en passant sur le relief montagneux et peu après 20 h UTC a atteint la côte pacifique à l'ouest de León (Nicaragua)[177]. Par la suite, Julia a longé la côte du Salvador et s'est dissipé en entrant au Guatemala.
Au , les autorités rapportent 91 morts et 7 disparus, principalement au Venezuela, au Guatemala et au Salvador à cause des pluies abondantes et des glissements de terrain[44],[45],[46],[47],[48],[49],[50].
Tempête tropicale Karl
|
Karl
| |
![]() Image satellite. |
![]() Trajectoire. |
| Durée de vie | – |
|---|---|
| Intensité | 95 km/h (60 mph) (1-min), 998 hPa (mbar) |
Le , le NHC a commencé à surveiller une perturbation située au nord de Julia. Elle s'est ensuite déplacée au-dessus de la baie de Campêche où les conditions étaient propices à son développement. À 21 h UTC le 11, les données d'un avion de reconnaissance ont permis de conclure à la formation de la tempête tropicale Karl au milieu de la baie et d'envoyer les premières veilles cycloniques pour la côte de l'État de Veracruz au Mexique[178]. Les veilles furent allongés vers l'État de Tabasco le au matin à cause d'une incertitude sur la trajectoire du système[179].
Après avoir dérivé lentement vers le nord, et s'être renforcé malgré le cisaillement modéré des vents en altitude, Karl a inversé sa trajectoire le au matin et commencé à faiblir[180]. Le NHC a mentionné que Karl devait produire des accumulations importantes de pluie sur des parties des États de Veracruz, Tabasco, Chiapas et Oaxaca. À 3 h UTC le , le système devenait de plus en plus désorganisé et le NHC l'a déclassé à dépression tropicale à 120 km à l'ouest-nord-ouest de Ciudad del Carmen dans le sud de la baie[181]. À 9 h UTC, les images satellitaires et radar indiquaient que le cyclone n'avait produit aucune convection profonde organisée depuis midi la veille. Karl était donc devenu une dépression résiduelle en dissipation rapide juste au large de Paraiso, Tabasco et le NHC a cessé ses bulletins[182].
La pluie associée à Karl a causé d'importantes inondations dans le sud du Mexique, endommageant au moins 300 maisons, 100 entreprises et des ponts. Un décès lié à la tempête a été signalé dans la municipalité de Pichucalco au Chiapas[51],[183]. La sécurité civile a annoncé que dans cette même municipalité, plus d'un millier de personnes, rassemblées pour un événement religieux, ont été évacuées préventivement, en raison de l'augmentation du niveau de la rivière, et 40 familles, soit environ 120 personnes, ont aussi été évacuées à cause des inondations atteignant jusqu'à trois mètres dans cinq quartiers[184].
Ouragan Lisa
|
Lisa
| |
![]() Image satellite. |
![]() Trajectoire. |
| Durée de vie | – |
|---|---|
| Intensité | 140 km/h (85 mph) (1-min), 987 hPa (mbar) |
Le , le NHC a commencé à suivre une large zone dépressionnaire au large des îles ABC dans la mer des Caraïbes dont la formation avait été prévue par les modèles de prévision numérique du temps dès le 25[185]. Les jours suivants, les nuages convectifs se sont lentement organisés au sud d'Hispaniola. Le à 21 h UTC, le NHC a lancé son premier bulletin pour le cyclone tropical potentiel Quinze situé à 425 km au sud-est de Kingston (Jamaïque) et des veilles cycloniques ont été émises pour la Jamaïque et les îles Caïmans[186]. À 15 h UTC le 31, la zone dépressionnaire est devenue un centre fermé selon les données satellitaires et les rapports d'avions de reconnaissance. Le NHC a alors rehaussé le système au niveau de tempête tropicale, nommée Lisa, située à 285 km au sud de la Jamaïque[187]. En soirée, les veilles et alertes cycloniques ont été déplacées vers la côte caraïbéenne du Honduras jusqu'à la péninsule du Yucatán.
En se dirigeant vers l'ouest, Lisa est passée sur des eaux très chaudes et le cisaillement des vents s'est atténué ce qui lui a permis de s'intensifier. À 12 h UTC le , le système compact est devenu un ouragan de catégorie 1 dans la golfe du Honduras à 100 km au nord de l'île de Roatán[188]. Le centre de l'ouragana touché la côte du Belize vers 21 h 20 UTC près de l'embouchure du fleuve Sibun à 16 km au sud-ouest de Belize City. Ses vents soutenus ont été estimés à 140 km/h et la pression centrale à 990 hPa[189].
Perdant ensuite de son intensité à cause de la friction, Lisa est retombé à tempête tropicale dès 3 h UTC le à la frontière Belize-Guatemala[190]. Celle-ci est entrée dans l'État de Campeche, au Mexique, tôt le matin et fut déclassée à dépression tropicale à 15 h UTC[191]. En soirée, elle est passée près de Villahermosa, Tabasco. À 9 h UTC le 4, Lisa est entrée dans la baie de Campêche mais dans des conditions de cisaillement des vents peu favorables à un redéveloppement[192]. Le à 15 h UTC, elle est devenue une dépression résiduelle mal définie et en dissipation ce qui a amené le NHC à cesser ses bulletins[193].
Il n'y a aucun décès relié au passage de Lisa. Cependant, l'onde de tempête dans la région de Belize City a inondé une grande partie de la ville, les vents violents ont renversé des arbres et des poteaux électriques, ainsi qu'endommagé plusieurs maisons alors que certaines structures se sont complètement effondrées[61]. Douze refuges dans la ville ont servi à abriter 1 221 personnes. Au Guatemala, 19 habitations ont été endommagées par les inondations à Melchor de Mencos, à la frontière avec le Belize[194]. Lisa a également donné de fortes pluies dans le sud du Mexique[61].
Ouragan Martin
|
Martin
| |
![]() Image satellite. |
![]() Trajectoire. |
| Durée de vie | – |
|---|---|
| Intensité | 140 km/h (85 mph) (1-min), 960 hPa (mbar) |
Le NHC a commencé à suivre une onde le long d'un creux barométrique non tropical au nord de Porto Rico le [195]. Les jours suivants, elle est remontée vers le nord mais n'a jamais montré un réel potentiel de développement. Le soir du , il a même semblé que l'onde, devenue une dépression coupée, devait fusionner avec un système frontal bien au nord-est des Bermudes sans devenir tropical[196]. Malgré cela, le la dépression s'est entourée d'orages et à 15 h UTC, le NHC l'a déclaré tempête tropicale Martin à 885 km à l'est-nord-est des Bermudes[197]. Elle est alimentée par une forte instabilité entre l'air très froid en altitude et une température de surface de la mer de seulement 25 °C[198].
Le à 15 h UTC, Martin fut rehaussé au niveau d'ouragan de catégorie 1 alors que le système était à 1 270 km au sud-sud-est du cap Race, Terre-Neuve[199]. Sa vitesse de déplacement était en accélération à l'approche d'un creux frontal venant des provinces atlantiques du Canada et sa trajectoire tourna vers le nord-est. L'interaction avec le creux a mené Martin à subir une transition post-tropicale au cours des 24 heures suivantes. À 21 h UTC le 3, le NHC l'a reclassé intense tempête des latitudes moyennes à 1 425 km à l'est-nord-est de cap Race avec une pression centrale estimée de 950 hPa[200].
L'ex-Martin est remonté à plusieurs centaines de kilomètres au sud du Groenland avant de tourner vers l'est et de faiblir en approchant du nord des îles Britanniques[201],[202].
Ouragan Nicole
|
Nicole
| |
![]() Image satellite. |
![]() Trajectoire. |
| Durée de vie | – |
|---|---|
| Intensité | 120 km/h (75 mph) (1-min), 980 hPa (mbar) |
Le NHC a commencé à suivre une vaste zone dépressionnaire dans la mer des Caraïbes le . Celle-ci a développé une dépression associée à des averses et des orages désorganisés juste au nord de Porto Rico, dans le sud-ouest de l'Atlantique, le lendemain[203]. À 10 h UTC le 7, le NHC a émis son premier bulletin concernant la tempête subtropicale Nicole, situé à 895 km à l'est des îles du nord des Bahamas, et une veille cyclonique a été émise pour cet archipel[204]. Les veilles ou alertes ont été allongées vers la côte de la Floride et de Géorgie dans les bulletins suivants.
Le , la tempête s'est intensifiée à l'approche des Bahamas et la convection profonde s'est développée près du centre, y ramenant sur un plus petit rayon les vents maximaux, ce qui a suggéré qu'elle avait fait la transition vers une tempête purement tropicale dès 15 h UTC[205]. Le à 16 h 55 UTC, les données du radar météorologique et de surface montrèrent que le centre de Nicole a touché l'île de Great Abaco à Marsh Harbour avec des vents soutenus de 110 km/h et une pression centrale estimée de 985 hPa[206]. À 23 h, les observations d'un avion de reconnaissances ont montré que le système était devenu un ouragan de catégorie 1 à 40 km à l'est-nord-est de Freeport (Bahamas)[207].
À 8 h UTC le 10, les radars météorologiques de Miami et Melbourne en Floride ont montré que Nicole a touché la côte de cet État juste au sud de Vero Beach avec des vents soutenus de 120 km/h[208]. L'heure suivante, la friction a ramené le cyclone au seuil de tempête tropicale se dirigeant vers le centre de la Floride[209]. Après avoir incurvé sa trajectoire vers le nord-ouest, Nicole est sortie brièvement sur le golfe du Mexique un peu après 18 h UTC, entre Tampa et Homosassa[210]. Par la suite, elle a longé la côte ouest de la Floride vers la région du Big Bend Coast et à 3 h UTC le 11, Nicole a été rétrogradée à dépression tropicale à 35 km au nord de Tallahassee et est entrée en Géorgie[211]. À 21 h UTC, Nicole est devenu une dépression post-tropicale à 85 km au sud-sud-ouest de Charleston (Virginie-Occidentale), se déplaçant à 76 km/h pour être absorbée en périphérie d'une dépression qui se creusait sur les Grands Lacs[212].
Au , on dénombrait 11 décès (6 en République dominicaine et 5 aux États-Unis) liés à la tempête[52],[53]. Les dégâts s'élevaient entre 500 millions et 1 milliard de $US[54],[213].
Autres systèmes
Cyclone tropical potentiel Quatre
|
Quatre
| |
![]() Image satellite. |
![]() Trajectoire. |
| Durée de vie | – |
|---|---|
| Intensité | 55 km/h (35 mph) (1-min), 1009 hPa (mbar) |
Le , le NHC a noté pour la première fois une zone orageuse associée à une onde tropicale située au centre de la mer des Caraïbes[214]. Le système est remonté le long de l'Amérique centrale et a débouché le sur la baie de Campêche avec une large zone dépressionnaire en surface mais des averses toujours désorganisées. En raison de son potentiel de développement pour le nord-est du Mexique et le sud du Texas, le NHC a lancé son premier bulletin de cyclone tropical potentiel à 21 h UTC le même jour[215],[216].
Le , un avion de reconnaissance n'a pas rapporté de circulation fermée mais seulement un creux barométrique. Ce dernier est entré plus tard dans les terres au sud de l'embouchure du Río Grande. Le système n'ayant plus de potentiel de développement, le NHC a émis son dernier bulletin à 3 h UTC le [216],[217].
La perturbation, qui n'est jamais devenue un cyclone tropical, a donné de fortes pluies sur la côte du Tamaulipas, Mexique, et celle du sud-est du Texas[218]. Cependant, aucun signalement de dommages n'a été reçu[216].
Notes et références
Notes
Références
- ↑ (en) Update on National Hurricane Center Products and Services for 2017, National Hurricane Center, (lire en ligne [PDF]).
- 1 2 3 (en) Hurricane Research Division; Atlantic Oceanographic and Meteorological Laboratory, « Atlantic hurricane best track (HURDAT version 2) 1851-2019 », sur National Hurricane Center, National Oceanic and Atmospheric Administration, (consulté le ).
- 1 2 (en) Marc Saunders et Adam Lea, « Extended Range Forecast for Atlantic Hurricane Activity in 2022 », sur TropicalStormRisk.com, Londres, UK, Dept. of Space and Climate Physics, University College de Londres, (consulté le ).
- 1 2 (en) Mark Saunders, Frank Roberts et Adam Lea, « April Forecast Update for North Atlantic Hurricane Activity in 2022 » [PDF], sur TropicalStormRisk.com, Londres, UK, Dept. of Space and Climate Physics, University College de Londres, (consulté le ).
- 1 2 (en) Adam Lea et Wood Nick, « July Forecast Update for North Atlantic Hurricane Activity in 2022 » [PDF], sur tropicalstormrisk.com, Londres, GB, University College de Londres, (consulté le ).
- 1 2 (en) Université d'État du Colorado, « Colorado State University releases first look at 2022 Hurricane Season », FOX4, (lire en ligne, consulté le ).
- 1 2 (en) Philip J. Klotzbach et Michael M. Bell, « Extended range forecast of Atlantic Seasonal Hurricane activity and landfall strike probability for 2022. » [PDF], Université d'État du Colorado, (consulté le ).
- 1 2 (en) « Extended Range Forecast of Atlantic Seasonal Hurricane Activity and Landfall Strike Probability for 2022 » [PDF], Fort Collins, Colorado, Université d'État du Colorado, (consulté le ).
- 1 2 3 4 (en) Bob Henson, « Latest outlooks for Atlantic hurricane season: Less frenzied, but still above average », New Haven Connecticut, Yale Climate Connections, (consulté le ).
- 1 2 (en) Tracy Peake, « NC State Researchers Predict Active Hurricane Season », Communiqué de presse, Raleigh, Caroline du Nord, Université d'État de la Caroline du Nord, (consulté le ).
- 1 2 (en) « North Atlantic tropical storm seasonal forecast 2022 : For the June to November period issued in May 2022 », Met Office, (version du sur Internet Archive).
- 1 2 (en) « Forecast for the whole 2022 season : update August 2022 », Met Office, (consulté le ).
- 1 2 (en) « NOAA predicts above-normal 2022 Atlantic Hurricane Season », NOAA, (consulté le ).
- 1 2 « Prévisions d'activité cyclonique sur le bassin Atlantique Nord pour 2022 », Météo-France, (version du sur Internet Archive).
- 1 2 « Prévisions d’activité cyclonique de l'Atlantique nord : Mise à jour Août 2022 », Actualités, Météo-France, (consulté le ).
- ↑ (en) Climate Prediction Center, « Background Information 2019: The North Atlantic Hurricane Season », sur National Oceanic and Atmospheric Administration, (version du sur Internet Archive).
- ↑ « Discussion des prévisions d’activité cyclonique de la saison 2021 sur le bassin Atlantique nord/Caraïbes/golfe du Mexique », Météo-France, (version du sur Internet Archive), p. 6.
- ↑ (en) Climate Prediction Center, « Background Information: The North Atlantic Hurricane Season », sur National Oceanic and Atmospheric Administration, (consulté le ).
- ↑ (en) Philip J. Klotzbach, « Qualitative Discussion of Atlantic Basin Seasonal Hurricane Activity for 2022 » [PDF], Université d'État du Colorado, (consulté le ).
- ↑ (en) Philip J. Klotzbach (@philklotzbach), « Atlantic seasonal #hurricane forecast from @ColoradoStateU calls for above-average season: 19 named storms, 9 hurricanes & 4 major hurricanes. Reasons for above-average forecast include predicted lack of #ElNino and warmer than normal subtropical Atlantic » [archive du ], sur Twitter, (consulté le ).
- ↑ « L'université du Colorado prévoit une saison cyclonique intense », France Info, (lire en ligne, consulté le ).
- ↑ (en) philklotzbach, « Atlantic seasonal #hurricane forecast update from @ColoradoStateU calls for very active season: 20 named storms, 10 hurricanes & 5 major hurricanes. Forecast increased from April due to low chance of #ElNino & warmer than normal tropical Atlantic https://tropical.colostate.edu/Forecast/2022-06.pdf https://twitter.com/philklotzbach/status/1532361400277839873 », sur Twitter, (consulté le ).
- ↑ Organisation météorologique mondiale, « Le Comité des ouragans de l'OMM retire des noms de cyclones tropicaux et met fin à l'utilisation de l'alphabet grec », Communiqué de press, (consulté le ).
- ↑ (en) Organisation météorologique mondiale, « Supplemental list of tropical cyclone names in RAIV », Communiqué de presse, (consulté le ).
- 1 2 (es) EFE, « Tormenta Alex causa estragos: Elevan a cuatro los muertos en Cuba por las fuertes lluvias », El Diario, (lire en ligne, consulté le ).
- 1 2 3 (en) « Q3 Global Catastrophe Recap », Aon (consulté le ).
- 1 2 3 (es) « Reportan al menos cuatro muertos tras el paso de tormenta Bonnie en Nicaragua », Infobae, (lire en ligne [archive du ], consulté le )
- 1 2 (en) AFP, « Tropical Storm Bonnie leaves 1 dead and damage in El Salvador », Tico Times, (lire en ligne [archive du ], consulté le ).
- 1 2 (en) Corey Davis, North Carolina State Climate Office, « The Tropics Come A-Colin », Université d'État de la Caroline du Nord, (consulté le ).
- 1 2 (es) « Mueren hombre y mujer tras impacto de rayo », Primera Hora, Salinas, Porto Rico, (lire en ligne, consulté le )
- 1 2 « Tempête tropicale Fiona : Un mort et de nombreuses inondations en Guadeloupe », Guadeloupe La 1ère, (lire en ligne, consulté le ).
- 1 2 (en-US) Joseph Wilkinson, « Hurricane Fiona death toll climbs to 25 in Puerto Rico », (consulté le ).
- 1 2 (en) « International Disaster Database », Centre for Research on the Epidemiology of Disasters, (consulté le )
- 1 2 « Tempête Fiona dans l’est du pays : notre couverture en direct », ICI Radio-Canada, (lire en ligne, consulté le ).
- 1 2 (en) « Missing 81-year-old N.S. man believed swept out to sea during Fiona », CTV News, atlantic, (lire en ligne, consulté le ).
- 1 2 (en) La Presse canadienne, « Hurricane Fiona to cause up to record $700 million in insured losses », City News Everywhere, (lire en ligne, consulté le ).
- ↑ (es) Pedro Martin Sanchez, « Huracán Fiona golpeó al país con daños estimados en 20 mil millones de pesos », Diario Libre, (lire en ligne, consulté le ).
- ↑ (es) Gerardo E. Alvarado Leon, « LUMA Energy eleva a $2,000 millones la cifra preliminar de daños en la red de transmisión y distribución por Fiona », El Nuevo Dia, (lire en ligne, consulté le )
- ↑ (es) « No habrá plátanos locales para Navidad tras paso de Fiona », Metro Puerto Rico (consulté le )
- 1 2 (es) « Los ocupantes de la neumática a la deriva se vieron a merced del ciclón Hermine » (trad. Les occupants du pneumatique étaient à la merci du cyclone Hermine), EFE, (lire en ligne, consulté le ).
- 1 2 (en) « Hurricane Ian », Tropical Cyclone Report, National Hurricane Center, .
- 1 2 (en) « RMS Estimates US$67 Billion in Insured Losses from Hurricane Ian », Risk Management Solutions, Inc., (consulté le ).
- 1 2 (en) « NOAA National Centers for Environmental Information (NCEI) U.S. Billion-Dollar Weather and Climate Disasters (2023). » [archive du ], National Oceanic and Atmospheric Administration, (consulté le ).
- 1 2 (en) Stewart Daniel, « Venezuelan authorities raise death toll to 54 in Tejerías floods », 360 News, (lire en ligne, consulté le ).
- 1 2 (en) « At least 28 killed as Julia tears through Central America », CBS News, (lire en ligne, consulté le ).
- 1 2 (en) Reuters, « Storm Julia kills 25 in Central America as it churns toward Mexico », Today Online, (lire en ligne, consulté le ).
- 1 2 Agence France-Presse, « L’ouragan Julia rétrogradé en tempête tropicale pendant sa traversée du Nicaragua », La Presse, (lire en ligne, consulté le ).
- 1 2 (en) « Tropical wave dumps rain over Trinidad and Tobago – Flooded », Trinidad and Tobago Newsday, (lire en ligne, consulté le ).
- 1 2 (en) « At least one dead in wake of storm Julia in Mexico », Yahoo! News, (lire en ligne, consulté le ).
- 1 2 (es) « Dictadura afirma que daños por Julia incrementaron a más de 300 millones de dólares », La Prensa, (lire en ligne [archive du ], consulté le ).
- 1 2 (es) Iris Velázquez, « Deja 'Karl' un muerto e inundaciones en Chiapas », El Norte, Monterrey, Nuevo León, (lire en ligne, consulté le ).
- 1 2 (en) « Dominican Republic – Deadly Floods Hit Santo Domingo – FloodList », sur floodlist.com (consulté le ).
- 1 2 (en) Angeli Gabriel, « 5 deaths in Florida attributed to Nicole, officials say », FOX Weather, (lire en ligne, consulté le ).
- 1 2 (en) « Billion-Dollar Weather and Climate Disasters », National Oceanic and Atmospheric Administration, (consulté le )
- ↑ (en) « For first time since 2014, Atlantic hurricane season might not start early », Fox Weather, (lire en ligne, consulté le ).
- ↑ (en) Papin, « Tropical Weather Outlook », NHC Graphical Outlook Archive, National Hurricane Center, (consulté le ).
- ↑ « La saison cyclonique démarre ce mercredi 1er juin 2022 », RCI, (lire en ligne, consulté le ).
- 1 2 (en) Bob Henson, « Atlantic and Pacific hurricanes: Never mind La Niña », Yale Climate Connection, (lire en ligne, consulté le ).
- 1 2 (en) Jeff Masters, « The Atlantic finally wakes up: Danielle forms far to the north », New Haven, Connecticut, Yale climate Connections, (consulté le ).
- ↑ (en) Yvette Brend, « There have been no named hurricanes so far this summer. Here's why », CBC News, (lire en ligne, consulté le ).
- 1 2 3 (en) Jeff Masters, « Lisa weakens to a tropical depression after hitting Belize as a Cat 1 hurricane », New Haven, Connecticut, Yale Climate Connections, (consulté le ).
- ↑ (en) Daniel Brown, « Hurricane Agatha Advisory Number 12 », Miami, Floride, National Hurricane Center, (consulté le ).
- ↑ (en) Beven, « Potential Tropical Cyclone One Discussion Number 1 », National Hurricane Center, (consulté le ).
- ↑ (en) Cangialosi, « Potential Tropical Cyclone One Discussion Number 6 », National Hurricane Center, (consulté le ).
- ↑ (en) Beven, « Potential Tropical Cyclone One Discussion Number 9 », National Hurricane Center, (consulté le ).
- ↑ (en) Papin et Blake, « Tropical Storm Alex Intermediate Advisory Number 10A », National Hurricane Center, (consulté le ).
- ↑ (en) Owain Johnston-Barnes, « Tropical storm warning for Bermuda as TS Alex forms », The Royal Gazette, Bermudes, (lire en ligne, consulté le ).
- ↑ (en) Pasch et D. Zelinsky, « Tropical Storm Alex Intermediate Advisory Number 15A », National Hurricane Center, (consulté le ).
- ↑ (en) D. Zelinsky, « Post-Tropical Storm Alex Advisory Number 17 », National Hurricane Center, (consulté le ).
- ↑ (en) Eric Adelson, Amanda Holpuch et Nick Madigan, « Tropical Weather Floods Miami Streets, Stranding Some Motorists », The New York Times, (lire en ligne, consulté le ).
- ↑ (en) Bureau de Miami, National Weather Service, « Public Information Statement…Corrected », Iowa Environmental Mesonet, (consulté le ).
- ↑ (en) Journaliste, « TS Alex Live updates: Tropical storm warning now lifted », The Royal Gazette, (lire en ligne, consulté le ).
- ↑ (en) Hagen et Berg, « NHC Graphical Outlook Archive », National Hurricane Center, (consulté le ).
- ↑ (en) Pasch, « Potential Tropical Cyclone Two Advisory Number 1 », National Hurricane Center, (consulté le ).
- ↑ (en) Beven, « Potential Tropical Cyclone Two Advisory Number 5A », National Hurricane Center, (consulté le ).
- ↑ (en) Beven, « Potential Tropical Cyclone Two Advisory Number 9A », National Hurricane Center, (consulté le ).
- ↑ (en) Cangialosi et Hogsett, « Tropical Storm Bonnie Tropical Cyclone Update », National Hurricane Center, (consulté le ).
- ↑ (en) Beven, « Tropical Storm Bonnie Advisory Number 18 », National Hurricane Center, (consulté le ).
- ↑ (en) Hogsett et Cangialosi, « Tropical Storm Bonnie Advisory Number 18 », National Hurricane Center, (consulté le ).
- ↑ (en) Jeff Masters et Bob Henson, « Tropical Storm Colin forms along the South Carolina coast », New Haven, Connecticut, Yale Climate Connections, (consulté le ).
- ↑ (en) « Warning as T&T escapes serious impacts from storm system », Trinidad Express, news Extra, (lire en ligne [archive du ], consulté le ).
- ↑ (en) « Strong winds damage elderly Tobago woman's home », Trinidad and Tobago Newsday, (lire en ligne [archive du ], consulté le ).
- ↑ (en) « WASA working to restore water to 200,000 customers after bad weather », Trinidad and Tobago Newsday, (lire en ligne [archive du ], consulté le ).
- ↑ (es) « Bonnie: Cruz Roja atendió 28 incidentes por inundaciones y rescató a 15 personas », CRHoy, (lire en ligne [archive du ], consulté le ).
- ↑ (es) Jaime Saldaña, « Bugaba: Desalojan a varias familias por tormenta Bonnie », Eco Panamá, (lire en ligne, consulté le ).
- ↑ (es) « Alerta en Venezuela por la tormenta tropical Bonnie que azotará parte del Caribe », Infobae, (lire en ligne [archive du ], consulté le ).
- ↑ (en) John Cangialosi et Wallace Hogsett, « Five-Day Graphical Tropical Weather Outlook », Miami, Floride, National Hurricane Center, (consulté le ).
- ↑ (en) Robbie Berg, « Tropical Storm Colin Advisory Number 1 », Miami, Floride, National Hurricane Center, (consulté le ).
- ↑ (en) Beven, « Tropical Depression Colin Advisory Number 4 », Miami, Floride, National Hurricane Center, (consulté le ).
- ↑ (en) Berg, « Remnant Low Colin Advisory Number 5 », Miami, Floride, National Hurricane Center, (consulté le ).
- ↑ (en) Cory Smith, « Showers and Storms possible Sunday Afternoon », WLTX-TV, Columbia, Caroline du Sud, (lire en ligne, consulté le ).
- ↑ (en) North Carolina State Climate Office, « Carte des accumulations de pluie avec Colin », Université d'État de la Caroline du Nord, (consulté le ).
- ↑ (en) The Associated Press, « Tropical Storm Colin brings rain to Carolinas, weakens », WITN TV, (lire en ligne [archive du ]).
- ↑ (en) Bucci et Pasch, « Tropical Weather Outlook », National Hurricane Center, (consulté le ).
- ↑ (en) Beven, « Tropical Depression Five Advisory Number 1 », National Hurricane Center, (consulté le ).
- ↑ (en) Bucci et Cangialosi, « Tropical Storm Danielle Advisory Number 2 », National Hurricane Center (consulté le ).
- 1 2 (en) Beven, « Tropical Depression Five Discussion Number 1 », National Hurricane Center, (consulté le ).
- ↑ (en) Reinhart, « Hurricane Danielle Advisory Number 6 », National Hurricane Center, (consulté le ).
- ↑ (en) Berg, « Hurricane Danielle Advisory Number 8 », National Hurricane Center, (consulté le ).
- ↑ (en) Beven, « Tropical Storm Danielle Discussion Number 9 », National Hurricane Center, (consulté le ).
- ↑ (en) Roberts, « Hurricane Danielle Advisory Number 12 », National Hurricane Center, (consulté le ).
- ↑ (en) Roberts, « Hurricane Danielle Advisory Number 17 », National Hurricane Center, (consulté le ).
- ↑ (en) Blake, « Hurricane Danielle Advisory Number 26 », National Hurricane Center, (consulté le ).
- ↑ (en) Blake, « Hurricane Danielle Discussion Number 26 », National Hurricane Center, (consulté le ).
- ↑ (en) Latto, « Tropical Storm Danielle Advisory Number 29 », National Hurricane Center, (consulté le ).
- 1 2 (en) D. Zelinsky, « Post-Tropical Cyclone Danielle Advisory Number 30 », National Hurricane Center, (consulté le ).
- ↑ (de) Deutscher Wetterdienst, « Analyse surface 2022-09-15 00 UTC », Université libre de Berlin, (consulté le ).
- ↑ Sébastien Lapeyrère, « Météo : pourquoi l'ex-tempête Danielle s'est transformée en "pompe à eau" après être devenue une "pompe à chaleur" », La Dépêche, (lire en ligne, consulté le ).
- ↑ (en) Beven, « Tropical Weather Outlook », National Hurricane Center, (consulté le ).
- ↑ (en) Bucci et Pasch, « Tropical Weather Outlook », National Hurricane Center, (consulté le ).
- ↑ (en) Berg, « Tropical Storm Earl Advisory Number 1 », National Hurricane Center, (consulté le ).
- ↑ (en) Beven, « Tropical Storm Earl Advisory Number 6 », National Hurricane Center, (consulté le ).
- ↑ (en) Papin, « Tropical Storm Earl Advisory Number 16 », National Hurricane Center, (consulté le ).
- ↑ (en) Bucci et Pasch, « Hurricane Earl Intermediate Advisory Number 16A », National Hurricane Center, (consulté le ).
- ↑ (en) Bucci et Pasch, « Hurricane Earl Advisory Number 21 », National Hurricane Center, (consulté le ).
- ↑ (en) Berg, « Hurricane Earl Intermediate Advisory Number 25A », National Hurricane Center, (consulté le ).
- 1 2 (en) Owain Johnston Barnes, « Hurricane Earl 3 am update: some gusts remain but the worst has passed », The Royal Gazette, (lire en ligne, consulté le ).
- 1 2 (en) Jonathan Bell et Sarah Lagan, « Afternoon update: Belco work continues, roads declared clear », The Royal Gazette, (lire en ligne, consulté le ).
- ↑ (en) Bucci et Pasch, « Hurricane Earl Advisory Number 25 », National Hurricane Center, (consulté le ).
- ↑ (en) D. Zelinsky, « Hurricane Earl Discussion Number 28 », National Hurricane Center, (consulté le ).
- ↑ (en) « Hurricane Earl expected to bring a wet, windy weekend to southeastern Newfoundland », CBC News, (lire en ligne, consulté le ).
- ↑ (en) Beven, « Post-Tropical Cyclone Earl Advisory Number 32 », National Hurricane Center, (consulté le ).
- ↑ (en) Irish Loop NL (@Trepassey_NL), « Hurricane Earl gave the Lower Coast in Trepassey a beating last night. », sur Twitter, (consulté le ).
- 1 2 (en) « Heavy downpour overflowing riverbanks, flooding streets in St. John's area », CBC News, (lire en ligne, consulté le ).
- ↑ Marie-Paule Vidal, « La tempête post-tropicale Earl s'éloigne peu à peu de l'Atlantique », France Info, (lire en ligne, consulté le ).
- ↑ (en) Papin, « NHC Graphical Outlook 200 AM EDT Mon Sep 12 2022 », National Hurricane Center, (consulté le ).
- ↑ (en) Brown, « Tropical Depression SEVEN Advisory #1 », National Hurricane Center, (consulté le ).
- ↑ (en) Cangialosi, « Tropical Storm Fiona Tropical Cyclone Update », National Hurricane Center, (consulté le ).
- ↑ (en) Cangialosi, « Tropical Storm Fiona Intermediate Advisory Number 10A », National Hurricane Center, (consulté le ).
- ↑ (en) Pasch, « Hurricane Fiona Advisory Number 17 », National Hurricane Center, (consulté le ).
- ↑ (en) Pasch et Berg, « Hurricane Fiona Tropical Cyclone Update », National Hurricane Center, (consulté le ).
- ↑ (en) Reinhart et Papin, « Hurricane Fiona Tropical Cyclone Update », National Hurricane Center, (consulté le ).
- ↑ (en) Pasch, « Hurricane Fiona Intermediate Advisory Number 21A », National Hurricane Center, (consulté le ).
- ↑ (en) Pasch, « Hurricane Fiona Advisory Number 22 », National Hurricane Center, (consulté le ).
- ↑ (en) Beven, « Hurricane Fiona Intermediate Advisory Number 23A », National Hurricane Center, (consulté le ).
- ↑ (en) Beven, « Hurricane Fiona Intermediate Advisory Number 27A », National Hurricane Center, (consulté le ).
- ↑ (en) Cangialosi, « Hurricane Fiona Intermediate Advisory Number 36A », National Hurricane Center, (consulté le ).
- ↑ (en) Pasch, « Post-Tropical Cyclone Fiona Advisory Number 39 », National Hurricane Center, (consulté le ).
- ↑ (en) Cangialosi, « Post-Tropical Cyclone Fiona Intermediate Advisory Number 40A », National Hurricane Center, (consulté le ).
- ↑ (en) Cangialosi, Pereira et Montgomery, « Tropical Depression Eight Advisory Number 1 », National Hurricane Center, (consulté le ).
- ↑ (en) Cangialosi et Kebede, « Tropical Storm Gaston Advisory Number 2 », National Hurricane Center, (consulté le ).
- ↑ (en) Cangialosi, « Tropical Storm Gaston Intermediate Advisory Number 8A », National Hurricane Center, (consulté le ).
- ↑ (en) Latto, « Tropical Storm Gaston Advisory Number 15 », National Hurricane Center, (consulté le ).
- ↑ (en) D. Zelinsky, « Post-Tropical Cyclone Gaston Advisory Number 23 », National Hurricane Center, (consulté le ).
- ↑ (en) « Gaston turns post-tropical in the eastern Atlantic », spectrumnews1.com, (lire en ligne, consulté le ).
- ↑ (en) Papin, « Tropical Depression Ten Discussion Number 1 », National Hurricane Center, (consulté le ).
- ↑ (en) Blake, « Tropical Storm Hermine Advisory Number 2 », National Hurricane Center, (consulté le ).
- ↑ (en) Jeff Masters et Bob Henson, « Cat 4 Fiona steams toward Canada; Caribbean disturbance 98L a major concern », New Haven, Connecticut, Yale Climate Connections, (consulté le )
- ↑ (en) Blake, « Tropical Depression Hermine Advisory Number 6 », National Hurricane Center, (consulté le ).
- ↑ (en) Roberts, « Post-Tropical Cyclone Hermine Advisory Number 8 », National Hurricane Center, (consulté le ).
- ↑ (en) Borja Suarez, « Flights cancelled as storm Hermine hits Spain's Canary Islands », Reuters, reuters, (lire en ligne, consulté le ).
- ↑ (en) « Kayaking and rain surfing down the streets during tropical storm Hermine », Canarian Weekly, (lire en ligne, consulté le ).
- ↑ (en) Papin et Brennan, « Tropical Depression Nine Advisory Number 1 », National Hurricane Center, (consulté le ).
- ↑ (en) Berg, « Tropical Storm Ian Advisory Number 4 », National Hurricane Center, (consulté le ).
- ↑ (en) Brown et Roberts, « Hurricane Ian Advisory Number 13 », National Hurricane Center, (consulté le ).
- ↑ (en) Reinhart, « Hurricane Ian Advisory Number 15 », National Hurricane Center, (consulté le ).
- ↑ (en) Latto et Brown, « Hurricane Ian Tropical Cyclone Update », National Hurricane Center, (consulté le ).
- ↑ (en) Blake, « Hurricane Ian Discussion Number 18 », National Hurricane Center, (consulté le ).
- ↑ (en) Brown, « Hurricane Ian Advisory Number 22 », National Hurricane Center, (consulté le ).
- ↑ (en) Blake, « Hurricane Ian Update », National Hurricane Center, (consulté le ).
- ↑ (en) Berg, « Tropical Storm Ian Advisory Number 27 », National Hurricane Center, (consulté le ).
- ↑ (en) Blake, « Hurricane Ian Advisory Number 29 », National Hurricane Center, (consulté le ).
- ↑ (en) Blake, Cangialosi et Huffman, « Hurricane Ian Tropical Cyclone Update », National Hurricane Center, (consulté le ).
- ↑ (en) Blake, « Hurricane Ian Discussion Number 33 », National Hurricane Center, (consulté le ).
- ↑ (en) Atlantic Oceanographic and Meteorological Laboratory, « Hurricane Records & Ranks », NOAA, (consulté le ).
- ↑ (en) Papin, « Tropical Depression ELEVEN Advisory 1 », National Hurricane Center, (consulté le ).
- ↑ (en) Papin, « Post-Tropical Cyclone Eleven Advisory Number 6 », National Hurricane Center, (consulté le ).
- ↑ (en) Berg, « Tropical Depression Twelve Advisory Number 1 », National Hurricane Center, (consulté le ).
- ↑ (en) Papin, « Remnants Of Twelve Discussion Number 10 », National Hurricane Center, (consulté le ).
- ↑ (en) D. Zelinsky, « Tropical Weather Outlook », National Hurricane Center, (consulté le ).
- ↑ (en) Brown, « Tropical Weather Outlook », National Hurricane Center, (consulté le ).
- ↑ (en) Berg, « Potential Tropical Cyclone Thirteen Discussion Number 1 », National Hurricane Center, (consulté le ).
- ↑ (en) Beven, « Tropical Depression Thirteen Advisory Number 3 », National Hurricane Center, (consulté le ).
- ↑ (en) Berg, « Tropical Storm Julia Advisory Number 5 », National Hurricane Center, (consulté le ).
- ↑ (en) Beven, « Hurricane Julia Tropical Cyclone Update », National Hurricane Center, (consulté le ).
- ↑ (en) Papin et Reinhart, « Hurricane Julia Tropical Cyclone Update », National Hurricane Center, (consulté le ).
- ↑ (en) Berg, « Tropical Storm Advisory Number 14 », National Hurricane Center, (consulté le ).
- ↑ (en) Bucci et Blake, « Tropical Storm Karl Discussion Number 1 », National Hurricane Center, (consulté le ).
- ↑ (en) Bucci, « Tropical Storm Karl Advisory Number 3A », National Hurricane Center, (consulté le ).
- ↑ (en) Beven, « Tropical Storm Karl Discussion Number 8 », National Hurricane Center, (consulté le ).
- ↑ (en) Bucci, « Tropical Depression Karl Advisory Number 15 », National Hurricane Center, (consulté le ).
- ↑ (en) Brown, « Post-Tropical Low Karl Advisory Number 16 », National Hurricane Center, (consulté le ).
- ↑ (en) Associated Press, « Some flooding, 1 death as Karl dissipates in south Mexico », KKTV, (lire en ligne, consulté le ).
- ↑ (es) « Tormenta tropical ‘Karl’ deja un muerto y más de mil personas evacuadas en Chiapas », Yahoo!Noticias, noticias, (lire en ligne, consulté le ).
- ↑ (en) Brown, « NHC Graphical Outlook », National Hurricane Center, (consulté le ).
- ↑ (en) Papin et Cangialosi, « Potential Tropical Cyclone Fifteen Advisory Number 1 », National Hurricane Center, (consulté le ).
- ↑ (en) Blake, « Tropical Storm Lisa Advisory Number 4 », National Hurricane Center, (consulté le ).
- ↑ (en) Pasch, « Hurricane Lisa Advisory Number 11A », National Hurricane Center, (consulté le ).
- ↑ (en) Bucci et Brown, « Hurricane Lisa Tropical Cyclone Update », National Hurricane Center, (consulté le ).
- ↑ (en) Bucci et Brown, « Tropical Storm Lisa Advisory Number 14 », National Hurricane Center, (consulté le ).
- ↑ (en) Pasch, « Tropical Depression Lisa Advisory Number 16 », National Hurricane Center, (consulté le ).
- ↑ (en) Beven, « Tropical Depression Lisa Advisory Number 19 », National Hurricane Center, (consulté le ).
- ↑ (en) Brown, « Remnants Of Lisa Advisory Number 24 », National Hurricane Center, (consulté le ).
- ↑ (en) « Tropical Depression Lisa Emerges Over the Southwestern Gulf of Mexico », The New York Times, (lire en ligne, consulté le ).
- ↑ (en) Papin, « NHC Graphical Tropical Weather Outlook », National Hurricane Center, (consulté le ).
- ↑ (en) Papin, « NHC Graphical Tropical Weather Outlook », National Hurricane Center, (consulté le ).
- ↑ (en) Christopher Landsea, « Tropical Storm Martin Advisory Number 1 », National Hurricane Center, (consulté le ).
- ↑ (en) Christopher Landsea, « Tropical Storm Martin Discussion Number 1 », National Hurricane Center, (consulté le ).
- ↑ (en) Blake, « Hurricane Martin Advisory Number 5 », National Hurricane Center, (consulté le ).
- ↑ (en) D. Zelinsky, « Post-Tropical Cyclone Martin Advisory Number 10 », National Hurricane Center, (consulté le ).
- ↑ (de) Deutscher Wetterdienst, « Analyse surface 2022-11-06 00 UTC », Université libre de Berlin, (consulté le ).
- ↑ (de) Deutscher Wetterdienst, « Analyse surface 2022-11-07 00 UTC », Université libre de Berlin, (consulté le ).
- ↑ (en) Papin, « Two-Day Graphical Tropical Weather Outlook », National hurricane Center, (consulté le ).
- ↑ (en) Berg, « Subtropical Storm Nicole Advisory Number 1 », National hurricane Center, (consulté le ).
- ↑ (en) Brown, « Tropical Storm Nicole Advisory Number 6 », National hurricane Center, (consulté le ).
- ↑ (en) Beven, « Tropical Storm Nicole Update », National hurricane Center, (consulté le ).
- ↑ (en) Roberts, « Hurricane Nicole Update », National hurricane Center, (consulté le ).
- ↑ (en) Bucci et Reinhart, « Hurricane Nicole Update », National hurricane Center, (consulté le ).
- ↑ (en) Berg, Bucci et Reinhart, « Tropical Storm Nicole Advisory Number 13 », National hurricane Center, (consulté le ).
- ↑ (en) Beven, « Tropical Storm Nicole Advisory Number 14A », National hurricane Center, (consulté le ).
- ↑ (en) Pasch et Roberts, « Tropical Depression Nicole Advisory Number 16 », National hurricane Center, (consulté le ).
- ↑ (en) G. Carbin, « Post-Tropical Cyclone Nicole Advisory Number 19 », Weather Prediction Center, (consulté le ).
- ↑ (en) Journaliste, « How much damage did Hurricane Nicole create in Florida? Estimates already above $500 million », FOX 35 Orlando, (lire en ligne, consulté le ).
- ↑ (en) Papin, « Five Day Graphical Tropical Weather Outlook », National Hurricane Center, (consulté le ).
- ↑ (en) Beven, « Potential Tropical Cyclone Four Advisory Number 1 », National Hurricane Center, (consulté le ).
- 1 2 3 (en) John P. Cangialosi, Potential Tropical Cyclone Four (AL042022) 19-21 August 2022, Miami, FL, National Hurricane Center, coll. « Tropical Cyclone Report », , 5 p. (lire en ligne [PDF]).
- ↑ (en) Beven, « Potential Tropical Cyclone Four Advisory Number 6 », National Hurricane Center, (consulté le ).
- ↑ (en) « Potential Tropical Cyclone Four makes landfall in Mexico », WDSU-TV, La Nouvelle Orléans, Louisiane, (lire en ligne, consulté le ).
Voir aussi
Liens externes
- « Site officiel », Centre canadien de prévision des ouragans
- « Activité cyclonique », Météo-France
- (en) « Site officiel », National Hurricane Center américain
- (en) National Hurricane Center, « Summary of 2022 Atlantic Hurricane Season », NOAA,
- (es) Service météorologique national du Mexique, « Información Histórica », Ciclones tropicales, Gouvernement du Mexique, .
- Prévisions saisonnières
- (en) « Site de Tropical Storm Risk (TSR) »
- (en) Department of Atmospheric Science, « Tropical Meteorology Project », CSU
- (en) « Prévisions saisonnières », Communiqué de presse, NCSU
|
|
- Portail de la météorologie
- Portail des années 2020









.jpg)
























