Position fortifiée d'Anvers

La Position fortifiée d'Anvers (en néerlandais : Stelling van Antwerpen) est un système de fortifications autour d'Anvers en Belgique, composée de deux ceintures de forts. Les fortifications ont été construites entre 1859 et 1914. Ensemble, elles forment un anneau de 95 km de circonférence autour d'Anvers.
Des origines à 1830
La défense d'Anvers, avant l'indépendance de la Belgique en 1830, comprenait les murs espagnols de la vieille ville qui suivent actuellement les boulevards (lei en ancien flamand) d'Italie, de France et d'Amérique (Italielei, Frankrijklei, Amerikalei), limités au sud par le château du Sud (Zuidkasteel) (juste au nord de l'actuel Palais de justice) et limités du côté nord par le Noorderfort, au lieu de l’actuel Kattendijkdok. Les forts du Liefkenshoek, De Perel, Sainte-Marie et Saint-Philippe ont été construits en 1584 par le duc de Parme (Alexandre Farnèse) avec l'intention de bloquer le ravitaillement d'Anvers par les Hollandais. Ces forts ont été construits dans le coude de l'Escaut à Kallo. Sur une carte de 1635 de la région du Brabant, Johan Blaeu indique dans son Atlas, les forts de Hogerwerne, Saint Ambrosy, Lillo, La Croix et Saint Philippe sur la rive droite et ceux de Liefkenshoek, La Pearle, Sainte Marie et Isabelle sur l'autre rive[1].
Le siège d'Anvers en 1585 par Jan Luyken vers 1679 avec le détail des noms des forts du Liefkenshoek, Sainte-Marie et Saint-Philippe en néerlandais.
La ville d'Anvers avec ses fortifications par Georg Braun et Frans Hogenberg in atlas Civitates orbis terrarum, vol. I, 1572.
Après l'indépendance de la Belgique
Jusqu'au milieu du XIXe siècle (depuis 1830), la défense de la Belgique se composait de vingt cités fortifiées, qui devaient constituer une défense, appelée « Barrière Wellington », contre la France. La défense d'Anvers avait également pour but de défendre l'Escaut (la prétendue redeverdediging). Cette fonction était effectuée par les forts De Perel, Fort Burcht, Fort Isabelle, Fort Sainte-Marie. La défense de l'Escaut a été complétée par le développement du fort Tête de Flandre (Vlaams Hoofd) situé au lieu de l'actuel terminus du tunnel Sainte-Anne.
Loi de 1851
Au milieu du XIXe siècle, après l'émergence de Napoléon III en 1851, il était clair que l'armée belge n'aurait pas la capacité de résister à une attaque française. Il était nécessaire de centraliser la défense. Il fut alors décidé de rajouter une première ceinture de forts autour d'Anvers, les petits forts 1 à 7. À l'origine, les petits forts consistaient en des remparts en terre surmontés de palissades, mais plus tard ils furent renforcés par des structures de pierre.
Loi du 7 septembre 1859

Au milieu du XIXe siècle, la notion d'une défense entière de la Belgique n'a pas été jugée réalisable. Anvers était l'endroit le plus approprié comme dernier bastion de résistance (« Réduit national ») jusqu'à l’arrivée de l'aide alliée (la Grande-Bretagne). Le choix d'Anvers comme « Réduit national » fut motivé par les possibilités d'approvisionnement et une position bien défendable. Le Réduit national (Loi du ) serait composé de : 1° une enceinte urbaine, 2° une deuxième ceinture de forts et 3° d'inondations. La deuxième ceinture des forts serait composée de huit forts Brialmont (construits en 1859 et plus tard) dans une longue ceinture de 18 km de Wijnegem à Hoboken.
Loi de 1870
La guerre franco-prussienne de 1870 avait montré que l'artillerie allemande pouvait bombarder Paris à une distance de 7 km. La première ceinture de forts Brialmont devenait donc trop proche de la ville d'Anvers. Au début, il fut décidé de construire les forts Merksem, Zwijndrecht et Kruibeke. En outre, la défense de l'Escaut contre des navires de guerre ennemis fut étendue aux forts Saint-Philippe et De Perel. Ces petits forts blindés furent allongés et devaient être équipés d'un armement lourd de canons de calibre 240 et 280. Le fort De Perel ne fut jamais armé.
Travaux dans la période 1878-1905
En 1872, naît l'idée de la ligne Nèthe-Rupel comme défense primaire avec les polders inondables. Les moyens pour la construction des nouveaux forts manquent cependant.
À partir de 1878, les trois forts de Walem, Lierre et (en 1882) Steendorp furent construits. Le fort Schoten a été construit en 1885. En 1886, la redoute Duffel fut construite pour défendre la ligne de chemin de fer Anvers-Bruxelles. Trois redoutes (Oorderen, Berendrecht et Kapellen) ont été construites pour défendre respectivement les polders inondables, des digues et le chemin de fer vers les Pays-Bas.
Enfin, à cette époque (au travers de la Loi de 1902), la construction des forts Wavre-Sainte-Catherine et Stabroek fut commencée. En 1914, ces deux forts n'étaient pas achevés ni armés.
Loi du 30 mars, 1906
Le développement d'armes nouvelles fut si rapide qu'en 1900, un comité a été établi pour reconsidérer la défense d'Anvers. Ce comité a conclu que la défense était insuffisante, mais ne donnait pas de solution. Le gouvernement présenta en une proposition qui envisageait la démolition de l'enceinte urbaine, la création d'une troisième ceinture de forts autour des forts 1-8 et que la ligne Rupel-Nèthe devienne la première ligne de défense. Finalement, ce plan a été ratifié par la loi du . Le plan prévoyait la construction de 11 nouveaux forts et 12 nouvelles redoutes. Cette stratégie de défense générale (Hoofdweerstandstelling) envisageait en total 16 forts et 10 redoutes sur la rive droite de l'Escaut et 5 forts et 2 redoutes sur la rive gauche.

Structure des forts et redoutes
Structure des forts Brialmont
Les fortifications classiques avaient une forme approximativement rectangulaire. Un bon exemple d'un fort rectangulaire avec des positions d'artillerie sur les bastions est le fort Liefkenshoek du XVIe siècle. Ensuite, la construction des forts pendant le XIXe siècle va évoluer suivant deux écoles : la « française » et l'« allemande ». Les forts allemands avaient une structure polygonale avec caponnières. Les forts français avaient une construction bastionnée. Brialmont (l'architecte des forts belges) en 1846, s'est rendu en Allemagne où il a pris connaissance de la construction polygonale.
Les forts avaient des fonctions multiples: 1° Action lointaine, 2° Défense des intervalles entre les forts et 3° Défense du fossé. Le plan a fut adapté à ces fonctions. À l'extérieur, les forts ont été protégés par un fossé de 40–50 m de large, qui rendait impossible une attaque directe. À l'extérieur du fossé, une pente (le glacis) a été construit pour rendre possible le feu direct sur l'ennemi. L'intérieur des murs du fossé a été porté à 10 m de hauteur (escarpe) pour se protéger contre les tirs directs. L'artillerie a été placée sur et derrière les murs à l'air libre.

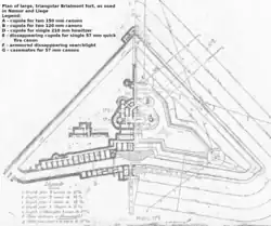
Le fort avait une structure polygonale. Le bâtiment principal du fort était le réduit où la garnison du fort casernait en temps de paix et qui servirait comme dernière défense si l'ennemi avait pénétré le fort. Ce réduit était en brique. Le réduit était défendu par des canons sur le toit.
Les canons ont été placés sur les côtés extérieurs du fort. L'armement principal était placé derrière des terrassements en direction de l'arrivée prévue de l'ennemi. L'armement principal a été installé dans la caponnière principale (une sorte de bunker avec une épaisseur de mur de 2,5 à 3 m) au milieu de la façade. La façade avait une largeur d'environ 350 m. Sur les côtés de la façade deux demi-caponnières sont installées. Sur la façade une trentaine de canons et de mortiers furent également placés pour la défense à longue distance. Tant la caponnière principale que les demi-caponnières étaient placées dans des casemates. À l'arrière le fort pouvait être ravitaillé par un pont traversant le fossé. À l'arrière du fort, deux batteries étaient également présentes dans le but de protéger le fossé. Les forts construits plus tard comme les forts Steendorp, Lier et Walem ont une structure similaire mais sans réduit. Les forts sont reliés par la Route Militaire, qui sera bientôt réaménagée en une ceinture verte.
Construction des forts de la Loi de 1906
La construction de ces forts a été commencée en 1909 après l'expropriation des terrains. Les travaux ont été effectués par l'entreprise Bolsée d'Anvers. Les forts sont très similaires entre eux, avec quelques exceptions. Les forts ont été construits en béton non armé de 2,5 m, ce qui offrait une résistance à un calibre de 280. La plupart des forts sont du second ordre avec comme armement principal une tourelle de deux canons de 150, deux tourelles pour obusiers de 120 et quatre tourelles pour un canon de 75. Les forts du premier ordre avaient deux tourelles pour deux canons de 150 et deux tourelles supplémentaires avec un canon de 75. Les canons de 150 et les obusiers de 120 ont été installés dans la façade. Sur les flancs de la façade des caponnières ont été installées pour la défense rapprochée. Dans cette forme sont les types suivants: caponnières en casemate attachées à la façade, caponnières avec des tourelles (Bornem) et caponnières détachées (forts de Stabroek, St. Katelijne Waver et Gravenwezel) ou revers caponnières attachées (Brasschaat et Kessel). Bornem a une structure différente avec un front pseudo-bastionné avec des tourelles sur les caponnières.
Armement
Les forts avaient des fonctions multiples : 1° Action lointaine, 2° Défense des intervalles entre les forts et 3° Défense du fossé. Les premiers forts 1 à 8 (Loi 1859) n'avaient initialement pas d'artillerie fixe. L'artillerie se composait d'artillerie de campagne. Dans la construction des forts on avait déjà tenu compte de l'évolution des canons en construisant un couvre-sol adapté. Dans les forts construits plus tard, l'artillerie est placée en position fixe.
Les principales évolutions dans le domaine de l'artillerie étaient les suivantes :
- Dès 1885, au lieu de poudre noire, l'acide picrique ou la nitrocellulose sont utilisés.
- Les obus eux-mêmes ont été fabriqués en forme d'obus-torpilles utilisant la TNT (explosif brisant).
- En Allemagne, les premiers canons à tube rayé sont fabriqués et remplacent les canons en bronze utilisés jusque-là. Cela permet une augmentation des calibres et des dégâts.
Le développement de la science, la chimie et la métallurgie a changé dramatiquement le canon qui jusqu'au milieu du XIXe siècle avait peu évolué.
L'évolution de l'artillerie nécessitait une adaptation des forts. Dès 1890 l'artillerie est installée en positions fixes. En partie, l'artillerie était placée dans des tourelles et le reste placé séparément. Dès 1890 l'épaisseur de la carapace en béton est de 2,25 à 2,5 m. Le calibre des canons était alors de 210 (Krupp) ou 220 (mortier Le Creusot). Les forts devraient résister à ces calibres. Toutefois, les évolutions sont très rapides. En 1905, les Japonais utilisent pendant le siège de Port-Arthur des canons de 280. Peu avant la Première Guerre mondiale les Allemands avaient déjà des canons du calibre 305 et même 420 ("Grosse Bertha"). Des essais en Russie en 1912 avec une tourelle belge ont montré que la tourelle ne résistait pas aux canons de 280. Bien que la direction militaire ait été au courant, cette information fut ignorée. Les militaires ne pouvaient rien faire, puisque de nouvelles modifications des forts n'étaient pas possibles.
Les forts belges ne disposaient pas d'artillerie de calibre équivalent à celle des Allemands. Parce que les forts avaient un but défensif, le plus lourd canon utilisé avait un calibre de 150. Seules les fortifications pour la défense de l'Escaut (De Perel, Saint-Philippe) avaient des canons de 240 et 280. Les forts autour de Liège et de Namur avaient des obusiers de 210, mais avec une portée relativement limitée de 6,9 kilomètres. L'armement des forts de la ceinture extérieure (Loi 1906) pour tir lointain se composait de deux tourelles de deux canons de 150 (obus 39 kg, avec une portée de 8,4 kilomètres), deux tourelles pour un obusier de 120 (obus 20 kg, portée 6,4 km), quatre ou six tourelles de 75 (obus 5,5 kg portée 6 km), deux cloches d'observation. En outre il y avait seize canons de 57 (obus 2,7 kg, portée seulement 2,2 kilomètres, principalement utilisés pour les obus à balle et boites à mitraille) pour la défense du fossé et pour le tir sur les intervalles entre les forts (deux canons de 75 et deux canons de 120).
La résistance des forts d'Anvers dans la Première Guerre mondiale
_10.png)
Lors du déclenchement de la guerre en 1914, les Allemands ont attaqué les forts à Liège dès le . Ils étaient équipés de canons Skoda 305 mm Model 1911 d'une portée de 9,6 km, et de 420 mm « Grosse Bertha » d'une portée de 10 km), avec des obus respectivement 380 kg et 1 000 kg capables de détruire les forts de béton non armé.
Le , à l'est de Liège, le fort de Loncin est mis hors de combat par un obus allemand qui explose dans le dépôt de munitions. 350 hommes sont immédiatement tués et la moitié du fort est détruite. Encore aujourd'hui, les corps de ces hommes restent enterrés dans le fort. Le général Leman, chef d'état-major belge, qui avait installé son Q.G. dans le fort, est enseveli sous les ruines, mais retrouvé vivant, il est emmené en captivité. L'armée belge de campagne continue le combat dans les intervalles des forts jusqu'à ce que ceux-ci succombent au bout de dix jours sous les coups de l'artillerie lourde.

Après la prise de la ceinture de forts autour de Liège, le 3e corps allemand de réserve du général von Beseler marche vers l'ouest. Arrêtés quelques jours par leur défaite de la bataille de Haelen contre la cavalerie belge soutenue par de l'infanterie équipée de mitrailleuses, le les Allemands mettent en batterie les premières pièces de leur artillerie, au sud et à l'est d'Anvers, dans l'axe Walem-Breendonk. Puis le grand état-major allemand se concentre pendant deux semaines sur le front français où les troupes du général Joffre les repoussent. Pendant ce temps, l'armée belge de campagne s'est retranchée dans la Position fortifiée d'Anvers dans l'attente d'une aide britannique, laissant des flancs gardes à l'ouest de la province d'Anvers dans le but de couvrir une retraite possible vers la mer. Pendant plus de quinze jours, les troupes belges lancent deux sorties successives dans le but de gêner les Allemands qui renforcent leur dispositif, notamment en artillerie. Le résultat est de retenir 150 000 soldats allemands qui manquent lors de la bataille de la Marne. Mais le , l'attaque contre la Position fortifiée d'Anvers reprend dans la direction Walem-Lierre avec l'intention de rompre la ceinture de défense et de s’emparer de la place. Le premier bombardement des forts de Walem (avec des canons de 305 mm) et de Sint-Katelijne-Waver (canons de 305 et 420 mm) commence le . Le , l'artillerie allemande détruit les forts de Walem, de Sint-Katelijne-Waver et de Koningshooikt. Le , le fort de Sint-Katelijne-Waver et les redoutes Bosbeek et Dorpveld tombent aux mains des Allemands. Le , l'armée belge évacue les forts de Walem et de Koningshooikt. Le fort de Lierre, pilonné et à court de munitions, se rend. Le fort Kessel tombe le et, le , le bombardement du fort de Broechem commence et le fort d'Oelegem est attaqué, puis le fort de Broechem est mis hors de combat le . La Position fortifiée d'Anvers devient intenable.
Les secours de l'infanterie anglaise n'arrivent pas, excepté des canons lourds de la Navy acheminés à temps pour être installés sur des wagons à fond plat. Cependant cela ne peut suffire à contenir la pression allemande et l'armée belge abandonne la rive droite de l'Escaut le , sabordant ce qui reste des forts de Schoten, Brasschaat, Merksem, Kapellen et Lillo. La rive gauche de l'Escaut est abandonnée le et l'armée belge se retire vers la mer en se joignant aux fusiliers marins français de l'amiral Ronarc'h qui tiennent la campagne en Flandre occidentale.
Au total, les Allemands ont tiré 590 obus de 420 et 2 130 de 305 sur les forts autour d'Anvers. L'artillerie des forts ne pouvait offrir que peu de résistance face à une artillerie ennemie dont la majeure partie des pièces étaient hors de sa portée. Pourtant, le rôle de la forteresse d'Anvers ne doit pas être sous-estimé, les sorties de l'armée de campagne ayant contraint l'armée allemande à prélever des renforts sur le front français, tandis que l'artillerie des forts montrait son efficacité à courte portée sur les vagues d'assaut de l'infanterie allemande. Sacrifiée pour couvrir la retraite de l'armée belge de campagne, la garnison d'Anvers a rendu possible le mouvement de repli des hommes et des armements vers le Westhoek et la côte. Les forts de la rive gauche sous le commandement du général Deguise ont couvert la retraite, puis les dernières troupes ont reçu l'ordre de se disperser pour tenter de rejoindre l'armée de campagne. Ceux qui n'y parviennent pas se réfugient en Hollande où tout soldat belge est interné en application du principe de neutralité. Au grand dépit du général von Beseler commandant l'armée de siège, aucune formalité de reddition de la place forte d'Anvers n'a lieu, l'état-major belge n'ayant donné aucune suite aux offres de capitulation honorable. C'est l'autorité civile représentée par le bourgmestre d'Anvers qui annonce à l'état-major allemand que la place est à la merci de l'armée allemande.

Entre-deux-guerres - Seconde Guerre mondiale
Durant la Première Guerre mondiale la vulnérabilité des forts était devenue évidente. Il était évident que le développement de l'artillerie avait été plus rapide que la construction des fortifications. Après la Première Guerre mondiale, les fortifications autour d'Anvers n'étaient donc plus considérées comme une défense, mais avaient plutôt un rôle de soutien pour l'infanterie.
Entre les deux guerres mondiales, des ajustements mineurs aux forts ont été réalisés :
- Réarmement, une partie des vieux canons a été remplacée par des mitrailleuses légères et lourdes. Des tourelles anciennes ont été remplacées par des abris élémentaires (bunkers semi-circulaires blindés). Six abris élémentaires étaient construits par fort.
- Amélioration locale de la protection par béton armé,
- Placement de la ventilation et installation de casemates étanches aux gaz.
Les forts ont servi principalement d'entrepôts.
En outre, la défense a été renforcée avec un fossé anti-char, qui passait de Berendrecht (à la redoute Berendrecht) vers le canal Albert à Massenhoven. Le fossé anti-char formait un cercle autour d'Anvers, à une distance de 15 km du centre-ville. Sa longueur était de 33 km. Le fossé anti-char comportait 15 écluses destinées à régler le niveau d'eau. Ces écluses étaient défendues par des bunkers. Treize bunkers ont été construits, dont deux furent démolis. Les deux écluses sans bunkers étaient défendues par des forts ou des redoutes proches. Les bunkers d'écluses étaient armés de trois mitrailleuses de 13,2 mm.

Durant la Seconde Guerre mondiale, les fortifications ont joué un rôle limité. Après l'attaque sur la Belgique, l'armée belge se retire le de la ligne autour du canal Albert sur la ligne Koningshooikt-Wavre (KW). Le , les Allemands percent le front français à Sedan, l'armée belge décide donc de se retirer d'Anvers et de la ligne KW sur le Westhoek. Les 16 et , plusieurs forts de la ceinture autour d'Anvers sont en action principalement dans le but de couvrir la retraite de l'armée à l'extrémité ouest de la Belgique. Les Allemands ont maintenu les fortifications au cours de la Seconde Guerre mondiale. Plusieurs forts ont été utilisés comme stockage. Le fort de Breendonk était un camp de concentration et de transit vers l'Allemagne. Au fort de Breendonk environ 200 exécutions eurent lieu. Actuellement le fort de Breendonk est un monument national.
Aujourd'hui
Les petits forts 1 à 7 ont été démolis lors de la construction de la ceinture Brialmont, sauf le fort 2, dont le réduit est une partie d'un terrain de sport.
Les forts Brialmont 2 à 8 existent encore. Le fort 1 fut démoli en 1959 (quand il avait 100 ans) lors de la construction du centre commercial de Wijnegem et l'extension des routes N12 et R11.
Des fortifications de la loi de 1870, les forts de Merksem, Kruibeke, Saint-Philippe et Zwijndrecht sont toujours debout. Le fort De Perel fut détruit durant la Seconde Guerre mondiale par les Allemands. Les derniers vestiges ont été rasés en 1958.
Tous les forts de la période 1877-1883 (Walem, Lier, Steendorp (anciennement appelé aussi Rupelmonde), Schoten) existent toujours. Des redoutes de la période 1883-1893, les redoutes Duffel et Kapellen existent encore. Les redoutes Oorderen et Berendrecht ont été démolies dans le cadre de l'extension du port d'Anvers.
Tous les forts construits entre 1906 et 1914 existent toujours. Seule la redoute Massenhoven a été démolie pour la construction d'un réservoir le long du canal Albert. Les redoutes Smoutakker et Schilde ont été détruites par les Belges, lors de leur retraite pendant la Première Guerre mondiale.
Parmi les forts de Brialmont 2 à 8, deux sont devenus musées, deux habitations, une propriété communale, une aire de loisirs et une propriété de l'université.
Des forts de la période après 1870, deux sont encore domaine militaire, un réserve naturelle et un complexe récréatif. Des forts de la période 1877-1883, un est resté domaine militaire, un est devenu une habitation, un autre bien communal (anciennement propriété du ministère des Finances) et un est la propriété d'un club de tir et amateurs de radio. La redoute Kapellen est toujours domaine militaire, la redoute Duffel est devenue propriété privée. Elle sera ouverte après restauration grâce à des fonds européens. Le Fort de Sint-Katelijne-Waver est occupé avec des maisons de loisirs, le fort de Stabroek est devenu un espace de loisirs (paint-ball). Des forts de la période 1906-1914, trois forts sont encore domaines militaires, un fort est occupé avec des maisons de loisirs, un avec des maisons de pêcheurs, deux forts sont devenus des musées, deux sont des propriétés privées et trois des zones de loisirs. Plusieurs forts servent maintenant comme lieu d'hivernage pour chauves-souris. Cela s'applique à cinq des forts 1 à 8 et à onze des forts construits plus tard. Le fort de Brasschaat a le plus grand nombre de chauves-souris, entre 800 et 900 hibernantes. Les autres forts ont un nombre plus petit de 20 à plus de 300.
Notes et références
- ↑ Sous la direction de Pieter C. Emmer, Didier Poton de Xaintrailles et François Souty Les Pays-Bas et l'Atlantique : 1500-1800, Édition Presses universitaires de Rennes , 2009.
Voir aussi
Articles connexes
- Armée belge en 1914
- Mortsel, Fort n°IV (Oude God)
- Fort VIII (Hoboken)
- Portail de l’histoire militaire de la Belgique
- Portail de l’architecture et de l’urbanisme
- Portail de l’histoire militaire
- Portail d’Anvers et sa province