Plateau des Kerguelen

| Type |
|---|
| Baigné par |
|---|
| Coordonnées |
55° 12′ S, 76° 06′ E |
|---|

Le plateau des Kerguelen, ou plateau Kerguelen-Heard, est un plateau océanique antarctique partagé entre la France et l'Australie.

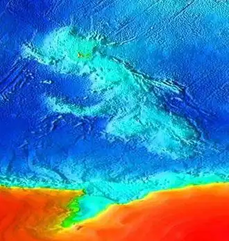
Il s'agit d'une grande province ignée volcanique située sur la plaque antarctique et dont la majeure partie est submergée par l'océan Indien. Situé à 3 000 km au sud-ouest de l'Australie, il est immergé en eau profonde et s'étend sur plus de 2 200 km dans la direction Nord-Ouest/Sud-Est. Une petite portion du plateau se trouve au-dessus du niveau de la mer, constituant les îles Kerguelen, l'île Heard et les îles McDonald. Un volcanisme intermittent subsiste sur l'île Heard et les îles McDonald[1],[2].
Le plateau des Kerguelen a pour origine le point chaud des Kerguelen, un point chaud de la croûte terrestre (peut-être dû à un panache mantellique) qui est apparu pendant ou après le morcellement du Gondwana il y a 130 millions d'années. Le plateau a commencé à se former il y a environ 110 millions d'années à la suite d'une série d'importantes éruptions volcaniques. La présence dans le basalte[3] de strates de roche constituées de fragments de gneiss incluant des conglomérats indique que le plateau s'est trouvé au-dessus du niveau de la mer par trois fois il y a entre 100 et 20 millions d'années.
Ce plateau possédait probablement une flore et une faune de type tropical il y a 50 millions d'années. Il est définitivement englouti sous les eaux il y a environ 20 millions d'années et se trouve aujourd'hui mille à deux mille mètres sous le niveau de la mer. Il est constitué de roches sédimentaires similaires à celles que l'on trouve en Australie et en Inde, ce qui suggère qu'ils furent un jour connectés[réf. nécessaire].
Notes et références
- (en) Cet article est partiellement ou en totalité issu de l’article de Wikipédia en anglais intitulé « Kerguelen Plateau » (voir la liste des auteurs).
- ↑ UNESCO Centre du patrimoine mondial, « Îles Heard et McDonald », sur UNESCO Centre du patrimoine mondial (consulté le )
- ↑ « Voyage aux Îles Heard et McDonald - Votre guide de voyage », sur www.theoutsiders.travel (consulté le )
- ↑ « Le plateau océanique des Kerguelen éclaire la formation des continents | CNRS », sur www.cnrs.fr, (consulté le )
Liens externes
- Notices dans des dictionnaires ou encyclopédies généralistes :
- Portail de la géologie
- Portail de la géographie
- Portail du volcanisme
- Portail de l’océan Indien