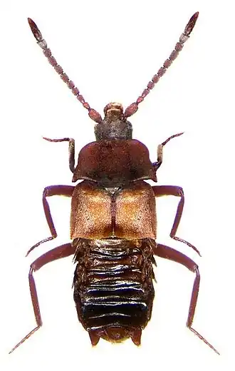
Lomechusa
Loméchuse, Lomechuse
| Règne | Animalia |
|---|---|
| Embranchement | Arthropoda |
| Sous-embr. | Hexapoda |
| Classe | Insecta |
| Sous-classe | Pterygota |
| Infra-classe | Neoptera |
| Super-ordre | Endopterygota |
| Ordre | Coleoptera |
| Famille | Staphylinidae |
Lomechusa est un genre d'insectes coléoptères, membre de la famille des staphylinidés que l'on trouve très souvent dans les fourmilières.
L'espèce Lomechusa strumosa F. a la particularité de sécréter un liquide à partir de l'extrémité de leur abdomen et des trichomes des élytres qui nourrit les fourmis et les drogue. Les Lomechusa peuvent ainsi se nourrir des larves des fourmis sans se faire attaquer. Lorsque ces parasites sont suffisamment nombreux, les fourmis abandonnent leur couvain, et la fourmilière décline puis disparait[1].
Littérature
Une lomechuse est rencontrée par les fourmis protagonistes du roman de Bernard Werber Les Fourmis. La lomechuse garde une entrée secrète en droguant les fourmis qui tenteraient de s'approcher d'un mystérieux passage…
Dans le roman de science-fiction de John Norman Les prêtres-Rois de Gor (Priest-Kings of Gor) de 1968, la lomechuse (sous le nom de scarabée doré) est un prédateur que les redoutables prêtres-rois craignent et adorent à la fois. Ils savent que la rencontre avec cette créature signifie la mort, mais c'est aussi la seule fois où ils connaîtront le plaisir dans une vie consacrée au travail. Ce roman illustre de façon imagée les relations entre les fourmis et les lomechuses. Dans une cité de travailleurs, métaphore des fourmis, les lomechuses peuvent tuer un individu sans que les autres membres de la fourmilière aient une réaction.
Liste d'espèces
- Lomechusa emarginata
- Lomechusa pubicollis
Liens externes
- Ressources relatives au vivant :
Notes et références
Références taxonomiques
- (en) Catalogue of Life : Lomechusa Gravenhorst, 1806 (consulté le )
- (fr + en) GBIF : Lomechusa Gravenhorst, 1806 (consulté le )
- (en) NCBI : Lomechusa (taxons inclus) (consulté le )
- (en) Tree of Life Web Project : Lomechusa (consulté le )
Références
- ↑ Pierre Hastir et Charles Gaspar, « Notes fauniques de Gembloux, no 43 »(Archive.org • Wikiwix • Archive.is • Google • Que faire ?) [PDF], .
- ↑ NCBI, consulté le 18 mai 2025.
- Portail de l’entomologie