Cyclone Harold
|
Cyclone Harold
| ||||||||
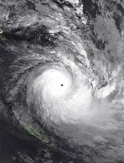
Le cyclone Harold à son intensité maximale, peu après son passage sur l'île Pentecôte au Vanuatu | ||||||||
| Apparition | ||||||||
|---|---|---|---|---|---|---|---|---|
| Dissipation | ||||||||
| Catégorie maximale | Cyclone catégorie 5 | |||||||
| Pression minimale | 920 hPa | |||||||
| Vent maximal (soutenu sur 1 min) |
270 km/h | |||||||
| Dommages confirmés | > 123,5 millions de dollars US | |||||||
| Morts confirmés | > 30 | |||||||
| Blessés confirmés | N/D | |||||||
| Zones touchées | Îles Salomon, Vanuatu, îles Fidji, Tonga | |||||||
Trajectoire du cyclone.
| ||||||||
| Saison cyclonique 2019-20 dans l'océan Pacifique sud | ||||||||
Le cyclone Harold est un cyclone tropical intense, qui a été à l'origine de dégâts considérables dans les îles Salomon, le Vanuatu, les îles Fidji et les îles Tonga en avril 2020. Harold fut le premier cyclone de catégorie 5 de l'année 2020. Il a d'abord été remarqué le , en tant que dépression tropicale se développant dans un creux barométrique à l'est de la Papouasie-Nouvelle-Guinée. Le jour suivant, le système s'est déplacé en direction du sud-est au-dessus de la mer des Salomon et a ensuite été classé en cyclone tropical nommé « Harold » par le Bureau australien de météorologie (BOM). Le système est passé dans la zone de responsabilité du Service de météorologie des Fidji le .
Le , il s'est intensifié fortement, atteignant la catégorie 4 sur les échelles des cyclones le . Le jour d'après, il est passé en catégorie 5 des cyclones tropicaux intenses, ce qui est le plus haut degré de l'échelle australienne. Harold a touché la côte à Espiritu Santo le . Peu après, le Joint Typhoon Warning Centre (JTWC) l'a élevé en cyclone de catégorie 5 sur l'échelle de Saffir-Simpson. Il n'a conservé ce statut que six heures, avant d'être rétrogradé en catégorie 4.
Harold est le premier cyclone tropical intense de catégorie 5 à s'être produit dans le bassin du Pacifique Sud depuis le cyclone Gita en 2018. Il est le deuxième cyclone tropical le plus puissant à avoir touché le Vanuatu, derrière le cyclone Pam en 2015. Il s'agit de la septième tempête et du quatrième cyclone tropical intense de la saison cyclonique 2019-20 dans le Pacifique sud. Enfin, c'est, avec le cyclone Amphan, le cyclone tropical le plus sévère à s'être produit dans le monde en 2020 (au ).
Évolution météorologique
Le , le Bureau australien de météorologie (BOM) a signalé que la Dépression tropicale 12U s'était développée le long d'un creux barométrique à environ 825 km du nord-ouest de Port Moresby en Papouasie-Nouvelle-Guinée[1]. Au début, la perturbation présentait une large circulation à basse altitude et des nuages convectifs dispersés. Toutefois, elle était située dans un environnement favorable à un développement ultérieur. En effet, une diffluence double des nuages en altitude se développait, le cisaillement de vent vertical était faible et les températures de surface de la mer élevées (30 °C)[1].
L'activité orageuse a commencé à s'organiser plus tard dans la journée et une dépression d'altitude située à proximité orienta le système vers le sud-est, en direction des îles Salomon. Compte tenu de l'aggravation de la tempête, le BOM l'a rehaussé à cyclone tropical de catégorie 1 sur l'échelle d'intensité des cyclones tropicaux australiens et l'a dénommée Harold avant qu'il passa à environ 135 km au sud-est d'Honiara dans les îles Salomon[2],[3]. Le même jour, le Joint Typhoon Warning Center (JTWC) des États-Unis a également émis des avis sur le cyclone tropical Harold, nommé Cyclone tropical 25P[4].
_chart.png)
Le système a ensuite franchi la longitude 160° E, quittant la zone de responsabilité australienne pour pénétrer dans le bassin du Pacifique Sud. En conséquence, le BOM a transféré la responsabilité principale des alertes au Service météorologique des Fidji (FMS). Alors que la tempête s'éloignait des îles Salomon le , elle a commencé à s'organiser rapidement et un très petit œil devint visible au radar météorologique. En conséquence, elle a été reclassée en catégorie 3 des cyclones tropicaux intenses par le FMS à 0 h UTC le [5],[6],[7]. A ce moment, Harold se trouvait à environ 360 km au nord-ouest de Luganville au Vanuatu.
Son mouvement vers le sud-est était beaucoup ralenti par l'extension d'une crête subtropicale à l'est de la tempête. Plus tard au cours de la journée, le FMS a annoncé qu’Harold était devenu un cyclone tropical intense de catégorie 4 et a prévu qu'il allait évoluer en catégorie 5. L'œil du système était en effet englouti dans une grande masse de convection atmosphérique[8],[9]. Le JTWC a, quant à lui, estimé qu’Harold avait atteint des vents soutenus sur une minute de 215 km/h ce qui équivalait à un ouragan de catégorie 4 sur l'échelle de Saffir-Simpson[9],[10].
Le , le JTWC a signalé que le système avait commencé à faiblir, vu la structure irrégulière de son œil et le réchauffement des nuages à son sommet. Toutefois, cette phase d'accalmie devait être de courte durée : d'une part, l’œil du cyclone avait de nouveau atteint un diamètre de 30 km et d'autre part, sa couverture nuageuse centrale dense était redevenue symétrique. Enfin, la diffluence au niveau supérieur demeurait forte. Le FMS en a donc conclu qu’Harold était devenu un cyclone tropical intense de catégorie 5 avec des vents soutenus de 205 km/h sur 10 minutes[11]. Le système se trouvait alors à environ 170 km à l'ouest de Luganville et commençait à se déplacer vers le pôle. Une crête subtropicale au nord-est du système en était devenue le guide de trajectoire principal. Vers 22 h UTC, Harold toucha la côte d'Espiritu Santo au nord du Vanuatu, accompagné de vents soutenus de 215 km/h sur 10 minutes[12].
Le jour suivant, le FMS a indiqué qu'il avait gagné en intensité, avec des vents de 230 km/h sur 10 minutes, alors qu'il se trouvait entre l'île d'Espirutu Santo et l'île de Pentecôte. Après avoir touché la Pentecôte, il est revenu dans l'Océan Pacifique Sud avant de s'éloigner du Vanuatu. Le JTWC a alors indiqué que son intensité avait encore augmenté, puisque des vents soutenus de 270 km/h sur 1 minute avaient été relevés[13]. Le cyclone avait désormais l'intensité d'un ouragan de catégorie 5 sur l'échelle de Saffir–Simpson des ouragans.
Après ce stade de renforcement, Harold a semblé faiblir : son œil s'est rempli, les nuages de son sommet se sont réchauffés, la convection a diminué de taille et de l'air sec a commencé à gagner le système. En conséquence, le FMS a rétrogradé Harold en catégorie 4 des cyclones tropicaux intenses dans la journée du . L’œil et le mur de l’œil d’Harold n'étaient alors pas encore visibles sur le radar météorologique du FMS à Nadi. Le système est ensuite passé à 115 km de Suva aux Fidji, avant de passer près ou au-dessus des îles de l'archipel de Kadavu[10].
Le , Harold s'est légèrement intensifié et le FMS l'a de nouveau placé en cyclone tropical intense de catégorie 5, alors qu'il était à environ 300 km au nord-est de Nuku'alofa, sur l'île tongienne de Tongatapu. Poursuivant sa route vers le sud-est, il est passé à environ 115 km au sud de Nuku'alofa. À ce moment-là, il faiblissait et amorçait une transition extra-tropicale. Le jour suivant, Harold a faibli en cyclone tropical intense de catégorie 3 et s'est déplacé dans la zone de responsabilité du Service de Météorologie de Nouvelle-Zélande (MetService).
Un fort cisaillement de vent vertical avait déplacé la convection profonde au sud de l’œil du cyclone. Plus tard, le JTWC a émis sa dernière alerte pour Harold : le cyclone devait prendre les caractéristiques d'un front météorologique et devenir un cyclone post-tropical dans les douze heures. Le , le MetService classa Harold en cyclone extratropical. Le jour d'après, le système fut repéré pour la dernière fois à environ 1 500 km au sud-ouest d'Adamstown aux îles Pitcairn[10],[14].
Préparatifs et impact
Iles Salomon
Après la transformation d'Harold en cyclone tropical le 2 avril, les Services météorologiques des îles Salomon (SIMS) ont lancé une alerte de cyclone tropical intense pour toutes les îles du royaume. Ils avertissaient que des vents violents, des mers agitées, des houles de 2 à 4 mètres et des submersions côtières risquaient de se produire. En conséquence, ils recommandaient aux navigateurs des mesures de sécurité et aux automobilistes une vigilance extrême. Les forces de police des îles royales de Salomon ont conseillé une grande prudence aux pilotes de navettes et de navires.
On estime que de 100 000 à 150 000 personnes aux îles Salomon ont été victimes du vent, de la pluie et de l'onde de tempête accompagnant Harold. Le Centre national des opérations d'urgence a indiqué que 57 maisons avaient été détruites et 20 autres endommagées. Sept salles de classe ont également été détruites. A Honiara, les chutes d'arbres et de branches ont causé des coupures de courant généralisées. L'hôpital national de référence d'Honiara fut au nombre des bâtiments touchés par ces coupures. Les chutes d'arbres ont également endommagé des bâtiments et bloqué des routes. L'école pour les sourds San Isidoro a été sévèrement touchée, puisque son toit a été arraché. De fortes précipitations ont inondé l'autoroute Kukum à Honiara. Un ruisseau gonflé par les pluies a emporté un segment de 3 mètres d'un pont reliant les zones nord-ouest de l'île de Guadalcanal à Honiara. Sur Guadalcanal, des dizaines de familles ont été contraintes de quitter leurs habitations. Les inondations et les chutes d'arbres ont également endommagé des bâtiments dans la province de Rennell et Bellona.
Dans la nuit du 2 avril, le ferry MV Taimareho a rencontré une mer agitée et des rafales de vent allant jusqu'à 80 km/h à Ironbottom Sound. Il naviguait alors entre Honiara et la province de Malaita. Le navire avait été envoyé pour rapatrier les résidents de Malaita qui se trouvaient à Honiara, à titre de précaution, bien que les avertissements enjoignaient aux navires de rester à quai. Vingt-sept des 738 passagers ont été renversés par-dessus bord par les vagues et sont présumés morts. Le ferry Taimareho s'est ensuite abrité dans le port de Su'u dans la province de Malaita. Des avions et des navires ont été envoyés à la recherche de survivants dans une zone de plus de 1 000 km2. Les tentatives de sauvetage ont tout d'abord été entravées par des conditions défavorables. Un hélicoptère de sauvetage n'a pas pu voler : son copilote avait été placé en quarantaine. Deux corps ont été retrouvés au large de la côte sud de la province de Malaita, permettant ainsi de délimiter la zone de recherche. A la date du 8 avril 2020, sept corps avaient été repêchés. Le gouvernement des îles Salomon a diligenté deux enquêtes sur cet incident : une enquête officielle menée par l’Administration de la sécurité maritime des îles Salomon et une enquête pénale. Au moins deux navires ont été rejetés à terre par la tempête. Les fortes pluies d'Harold ont emporté une grande partie des plaines de Guadalcanal, diminuant la sécurité alimentaire de la région. Le gouvernement australien a alloué 60 000 dollars US d'aide humanitaire aux îles Salomon.
Vanuatu

Le 3 avril, le Bureau national de gestion des catastrophes du Vanuatu (VNDMO) plaçait les provinces de Torba et Sanma sous alerte jaune, avisant du risque de cyclone tropical dans les 12 heures suivantes. Le Département de météorologie et de géorisque du Vanuatu a, de son côté, lancé un avis de cyclone tropical pour ces régions. Le 4 avril, et à la suite du classement d’Harold en catégorie 3 des cyclones tropicaux intenses, l'alerte jaune fut portée au rouge, niveau le plus élevé existant au Vanuatu. Au même moment, les provinces de Malampa et Penama étaient placées sous alerte jaune. Des alertes rouge ont finalement été émises pour toutes ces provinces (Malampa, Penama, Sanma et Torba), la province de Shefa étant placée sous alerte jaune. Le VNDMO a conseillé à tous les habitants des zones en alerte rouge de rester à l'intérieur. Les activités courantes ont été suspendues pour faciliter les préparatifs et les évacuations nécessités par l'arrivée d’Harold. Plusieurs centres d'hébergement ont été créés pour ceux qui cherchaient un lieu sûr.
À Espiritu Santo, des centaines de personnes furent évacuées vers des abris. Du fait des communications interrompues dans les zones rurales, les évaluations ont été difficiles. Cependant, un responsable de la Croix-Rouge du Vanuatu a estimé à 1 000 le nombre de personnes hébergées dans des centres de secours. Le 5 avril, la Fédération internationale des sociétés de la Croix-Rouge et du Croissant-Rouge (FICR) attribuait 50 000 francs suisses de son Fonds d'urgence à la Croix-Rouge du Vanuatu. Il s'agissait d'aider à mieux répartir le personnel et les secours avant l'arrivée de la tempête; un millier de bénévoles a été mobilisé. En prévision de l'arrivée de la tempête à Luganville, des centaines de personnes ont été évacuées vers des centres d'hébergement. Le siège de la province de Torba à Sola a servi d'abri aux familles. Oxfam Australie s'est associée aux organismes du Vanuatu pour élaborer un plan d'action. Le Département australien des affaires étrangères et du commerce, a, de son côté, conçu un colis de secours destiné aux Îles Salomon et au Vanuatu.
Harold fut le premier cyclone de catégorie 5 sur l'échelle australienne des cyclones tropicaux intenses à frapper le Vanuatu depuis le cyclone Pam en 2015. En effet, des rafales de vent supérieures à 275 km/h et une pluviométrie de 250 à 450 mm ont été relevés. Environ un tiers de la population du Vanuatu aurait été touchée. Les communications ont été interrompues dans la plupart des zones affectées, en particulier, dans les provinces du nord du pays. La société de télécommunications Vodafone a indiqué avoir perdu le contact avec les îles Banks, Espiritu Santo, Malakula et l'île de Pentecôte. Les connexions ont été rétablies dans les zones les plus gravement atteintes deux jours après l'arrivée d’Harold. Avant d'atteindre les côtes, le cyclone se déplaçait lentement à l'ouest du Vanuatu, concentrant, de ce fait, une humidité abondante, source de fortes précipitations. A Espiritu Santo, les inondations éclairs ont obligé les gens à évacuer leurs maisons pour rejoindre des terres plus élevées. A Penama, les routes ont été endommagées. Sur l'île de Malakula, les rivières ont débordé et inondé les jardins. Plus au sud, à Aneityum (Anatom), on a enregistré une pluviométrie de 166 mm.

.

La modélisation du Centre commun de recherche de la Commission européenne laisse supposer que l'onde de tempête a atteint 0,80 m de hauteur au Vanuatu. Les dégâts ont été considérables à Espiritu Santo, qui est l'endroit où Harold a, pour la première fois, touché la côte. La mer agitée a précipité des bateaux sur les rivages de l'île. Une défoliation et des inondations intenses se sont produites dans le nord du Vanuatu.
Luganville, la plus grande ville d'Espiritu Santo, a connu des coupures d'électricité et à des pénuries d'eau avant l'arrivée d’Harold. Les fortes précipitations ont mis en péril la qualité de l'eau, du fait de risques de contamination. Ces précipitations risquaient, de plus, de délaver les cultures et les routes, notamment, dans les zones de basse altitude. Le 6 avril, quand le cyclone a touché la côte et traversé la ville, les vents ont arraché des toitures et déraciné des arbres. Certains bâtiments ont été rasés; l'un d'eux se trouva réduit à ses fondations. Environ 50 à 70 % des bâtiments de la ville ont été endommagés.
Après la tempête, le maire de Luganville, Peter Patty, a déclaré: « Nous sommes gravement touchés. Pour l'instant, nous avons un besoin urgent d'eau, de nourriture et d'abris. Beaucoup ont perdu leur maison. Les écoles sont détruites. L'électricité est coupée. J'appelle d'urgence à l'aide. C'est l'une des pires expériences de ma vie. ». De nouvelles pluies torrentielles ont inondé les routes. Le bâtiment du conseil municipal de Luganville a été détruit. À mesure que la tempête progressait, les communications avec la ville ont été coupées et elle s'est trouvée encore davantage isolée du reste d'Espiritu Santo du fait des inondations, des décombres et des glissements de terrain. Le maire de la ville sœur de Luganville, Mont-Dore en Nouvelle-Calédonie, a promis d'envoyer des provisions et une assistance exceptionnelle pour aider Luganville à se remettre du cyclone dévastateur.
Des bâtiments ont également été détruits dans le reste de la province de Sanma. D'après les premiers constats, on a estimé que de sérieux dommages avaient eu lieu à proximité du point d'impact d’Harold, au sud-ouest de la province. En effet, à certains endroits, tous les bâtiments ont été endommagés. Les cabanes le long de la côte d'Espiritu Santo ont été complètement démolies et des maisons en dur se sont retrouvées sans toit, murs arrachés ou effondrés. Dans certains quartiers de l'île de Malo, aucun bâtiment n'a été épargné; deux décès ont été rapportés et beaucoup auraient été blessés.
Des dégâts encore plus sévères ont été signalés à la Pentecôte, qui a été le second lieu où la tempête a touché les côtes, avec une intensité alors presque maximale. Des villages entiers auraient été détruits. Des relevés aériens supplémentaires ont été réalisés pour évaluer les dommages sur l'île. Le centre de santé Melsisi a été détruit et les logements du personnel abîmés. Il a donc fallu utiliser le sous-sol d'un autre bâtiment endommagé comme centre médical provisoire. On estime que moins de régions auraient été touchées par Harold, comparativement au cyclone Pam, cinq ans auparavant, mais que les dommages globaux seraient nettement plus lourds dans certaines régions. Particulièrement sur l'île de Pentecôte : 68 % des bâtiments auraient été endommagés et 45 % sur l'île de Malo.
L'état d'urgence, décrété au Vanuatu pour la pandémie de COVID-19, a été prolongé pour permettre au gouvernement de mieux gérer les conséquences d’Harold. On pense que la reconstruction nécessitera probablement douze mois, compte tenu de la crise concomitante du coronavirus. Le Ministre de la santé du Vanuatu a signalé une hausse significative des cas de dengue et de paludisme entre les 25 et 27 avril dans les provinces de Torba et Sanma, probablement, liée au passage du cyclone. Le secteur agricole a été particulièrement touché : environ 60 % des cultures de bananes et de coco ont subi de sévères dégâts, selon le FAO. Ces cultures constituent la majorité des revenus du Vanuatu.
Fidji

Au cours du 6 avril, le FMS a émis une alerte au cyclone tropical pour Viti Levu, Kadavu, Lomaiviti, ainsi que pour les archipels Yasawa, Mamanuca et Lau.
Le 6 avril, le FMS a émis des alertes de fortes pluies pour la moitié ouest de Viti Levu, Kadavu et les îles Mamanuca et Yasawa, anticipant l'arrivée des pluies d'Harold et le passage éventuel de son centre au sud des Fidji. Des avis de tempête ont ensuite été émises pour les zones sous alerte de fortes pluies, en plus des îles Lomaiviti. L'alerte de fortes pluies a finalement été étendue à toutes le îles fidjiennes. L'alerte la plus élevée, à savoir : une alerte ouragan, a été émise pour Kadavu et Ono-i-Lau le 7 avril. Le Bureau national de gestion des catastrophes des Fidji (FDNMO) a activé son Centre des opérations d'urgence pour rationaliser les préparatifs et les évacuations. 25 centres de secours ont tout d'abord été ouverts : 22 dans la région ouest et 3 dans la région centre. Au moins 2 146 personnes ont trouvé refuge dans ces centres. Le nombre de refuges et de personnes évacuées a augmenté pendant et après le passage d'Harold; plus de 6000 personnes ont trouvé refuge dans 197 centres de secours (il y avait au moins deux centres dans chacun des quatre districts des Fidji). Tous les chefs de village et de communauté ont été invités à évacuer leur peuple en lieu sûr. Le Conseil provincial de Kadavu a conseillé aux habitants de Kadavu de chercher des terrains plus élevés. Le 8 avril, les déplacements ont été restreints à Viti Levu, pour que seuls les services d'urgence puissent emprunter les routes; cette restriction a été levée plus tard dans la journée. Le directeur du Ministère fidjien de la pêche, Mere Lakeba, a demandé aux aquaculteurs de réduire leur consommation d'eau et aux plaisanciers de déplacer leurs bateaux en lieu sûr. L'Autorité de sécurité maritime des Fidji a suspendu les autorisations de navigation pour tous les navires, à l'exception des navires d'évacuation. Tous les bureaux de l'Autorité des transports terrestres ont été fermés. Les fonctionnaires non indispensables sont demeurés chez eux. Le 7 avril, Fiji Airways a déplacé certains de ses gros avions en Nouvelle-Zélande pour éviter les dommages de la tempête. Des vols de Fiji Airways transportant des personnes évacuées ont décollé pour Sydney et Los Angeles.
Au début de la journée du 7 avril, les villageois des archipels Malolo et Yasawa ont ressenti les premiers effets de la tempête, notamment, des vents en rafales, de légères inondations côtières et des ondes de tempête. Le Turaga-ni-Koro (chef de village) a demandé à tous les villageois de Malolo de rester à l'intérieur et de demeurer vigilants durant toute la journée. De fortes pluies ont inondé plusieurs communautés au travers des Fidji; les alertes aux crues éclair sont entrées en vigueur dans toutes les zones basses et les bassins versants du pays. Des quartiers de Ba, Lautoka et deux villages ont été inondés. Les patients de l'hôpital principal de Lautoka ont été transférés au rez-de-chaussée par précaution. Des contrôles policiers ont été établis pour limiter les déplacements vers Ba du fait des inondations généralisées le long de la rivière Ba et des ruisseaux avoisinants. Près d'une centaine de maisons à Qauia, Lami, a été touchée par les inondations. Les routes ont été coupées par les arbres tombés, les crues et les glissements de terrain. La rivière Nasivi a débordé, submergeant une autoroute et un pont. Des sections des autoroutes Queens et Kings ont été fermées du fait de la présence d'obstacles. Neuf maisons ont été rasées dans la province de Tailevu, blessant plusieurs personnes. Le collège de North Tailevu et des maisons de Tailevu ont perdu en partie leurs toits. Les cultures agricoles ont été déracinées par les vents. A Nadi, les vents ont atteint 95 km/h et l'électricité a été coupée. Les pannes de courant engendrées par les chutes de poteaux et de lignes électriques ont beaucoup affecté les divisions centrales et occidentales des Fidji. La compagnie d'électricité Energy Fiji Limited a qualifié les dommages à ses lignes électriques d' "importants". Les vents violents ont endommagé des maisons à Sigatoka et la plupart des quartiers de la ville ont été privés d'électricité. Une tornade a frappé Vusuya, Nausori le matin du 8 avril : elle a emporté des toits de maisons, déraciné des arbres et arraché des poteaux électriques. Quinze maisons ont été gravement endommagées et deux personnes ont été blessées. A Nakasi, une autre tornade a éventré sept maisons et une école. Neuf maisons à Narere, Nasinu ont été endommagées par une troisième tornade causée par Harold. Les zones basses de Suva ont été inondées le long du front de mer. Une dizaine de maisons de la ville a été détruites. Des tuyaux en métal et en aluminium provenant d'un gratte-ciel en construction à Suva sont tombés sur les routes et propriétés adjacentes. De fortes pluies et des vents soutenus ont gagné la division Nord, abattant arbres et panneaux de signalisation. Les plantations de manioc, de bananier plantain et de banane ont subi des pertes en raison de vents forts à Kubulau, dans le district de Bua. Les communications ont été coupées sur les îles de Kadavu et Lau, où de nombreux bâtiments ont été endommagés. Environ 50 maisons ont été détruites à Ono-i-Lau, à 63 km du centre d'Harold, soit la plus faible distance relevée. On a signalé des dégâts généralisés à Dravuni, ainsi que des fermes et des cultures endommagées à Vanuabalavu. A Bulia, Kadavu, environ 20 maisons ont été abîmées, y compris des maisons construites récemment. Au total, on relève 26 blessés aux Fidji, dont l'un a succombé. A la date du 11 avril, soit 3 jours après les premiers impacts, l'électricité n'était pas encore été rétablie dans 80% des maisons touchées.
Les dommages causés par Harold à l'industrie agricole et au secteur éducatif des Fidji se montent à 28,4 millions de dollars fidjiens (12,5 millions de dollars US), mais le bilan des dommages aux infrastructures est, pour l'heure, inconnu. 1 919 bâtiments aux Fidji ont été endommagés et 575 ont été détruits, principalement dans la Division Est.
Tonga
Le Centre d'alerte aux cyclones tropicaux de Fua'amotu aux Tonga a été activé le 7 avril, car l'arrivée d'Harold dans les eaux tongiennes était prévue dans les deux jours suivants. Des alertes aux fortes pluies et aux crues éclairs ont été émises pour Eua, Ha'apai, Tongatapu et Vava'u. Des alertes aux vents violents ont, de plus, été lancées pour ces zones et pour les îles périphériques. Les banques des Tonga ont fermé le 9 avril, un retour à la normale étant prévu pour le 14 avril. La police a conseillé aux résidents de chercher un abri si nécessaire et d'éviter le quartier central des affaires de Nuku'alofa. Une alerte de marée extrêmement haute, niveau d'alerte marée le plus élevé possible aux Tonga, a été émise pour les eaux côtières à l'approche d'Harold. Cette marée coïncidait avec la grande marée de printemps et, de ce fait, les marées les plus hautes de l'année 2020 risquaient de se produire dans la région Tonga.
Le 9 avril, des coupures de courant ont commencé à toucher certaines parties des Tonga en raison de la chute d'arbres causée. Le centre d'Harold est passé de 90-100 km au sud de Tongatapu, fouettant les Tonga de fortes pluies et de vents violents. Une rafale de 80 km/h été relevée à l'aéroport d'Eua. Des dommages aux cultures vivrières et à l'approvisionnement en eau ont eu lieu à Eua et à Tongatapu. L'onde de tempête de 0.86 m de plus que la grande marée, a submergé les côtes de Tongatapu, et, plus particulièrement, les cotes centrales et occidentales de l'île. Trois stations touristiques à l'ouest de Nuku'alofa ont été détruites; les chalets en bord de plage et autres équipements ont été rasés par la montée subite des eaux. Parmi les îles, 'Eua a été la plus gravement touchée, son quai étant gravement endomamagé. Des toits ont été arrachés et l'électricité a été coupée dans toute l'île. Le 10 avril, on signalait des blessés dans toute l'île, sans qu'il possible d'en avoir la certitude, du fait des coupures des communications. Plus à l'intérieur des terres, la végétation et les cultures ont été endommagées. Le 23 avril, le ministre des Finances des Tonga a indiqué que le montant total des dommages causés par le cyclone Harold aux Tonga était estimé à plus de 111 million de dollars US.
Aide internationale
Vanuatu
Oxfam Australie a envoyé une équipe d'intervention pour évaluer les dégâts et aider aux réparations dans la province de Sanma quelques heures après les premiers impacts d’Harold. Oxfam a, parallèlement, doublé son aide pour le COVID-19. World Vision Australia a estimé qu'environ 160 000 personnes (soit un peu moins de la moitié de la population) se sont retrouvées sans abri au Vanuatu. Cette organisation a qualifié le cyclone de « désastre de catégorie 2 » sur son échelle de cotation des désastres. En conséquence, World Vision Australia a promis 4 millions de dollars (US) d'aide en nature aux zones touchées.
Dans les îles, Save the Children a mis en place de l'aide humanitaire pour les enfants touchés. La Croix-Rouge du Vanuatu a été rejointe par les sociétés de la Croix-Rouge des îles Fidji et des îles Salomon. L'Église catholique du Vanuatu a distribué des kits d'urgence. Lisa Faerua, directrice d'Oxfam au Vanuatu, a déclaré que la remise en état pourrait prendre jusqu'à un an, sans compter le retard supplémentaire dû à la pandémie de coronavirus. Ainsi, l'aide humanitaire envoyée au Vanuatu par bateau a été soumise à sept jours de quarantaine avant d'être distribuée dans les îles. Un avion de surveillance P-3 Orion a été envoyé par les Forces de défense néo-zélandaises (NZDF) pour estimer où l'aide humanitaire pouvait être priorisée.
Un avion militaire néo-zélandais C-130 a acheminé au Vanuatu un hélicoptère chargé de fournir de l'aide et des médicaments. Le 8 avril, le ministre néo-zélandais des Affaires étrangères, Winston Peters, a versé 485 000 dollars (US) (500 000 dollars NZ) au gouvernement du Vanuatu pour contribuer à la remise en état. Le montant total de l'aide directe de la Nouvelle-Zélande au Vanuatu est de 1,52 million de dollars (US) (2,5 millions de dollars NZ).
Les secours de l'Australie pour le Vanuatu comprenaient de l'aide logistique, médicale et éducative à l'attention des organisations gouvernementales et non gouvernementales. Le 9 avril, un avion des Forces de défense australiennes a survolé le nord du Vanuatu et a fourni des provisions aux zones touchées. La France a envoyé des tentes, des abris, du matériel de cuisine et des jerrycans à la demande du gouvernement du Vanuatu.
Le Bureau de la coordination des affaires humanitaires des Nations unies (OCHA) a versé 2,5 millions de dollars (US) en fonds d'urgence au Vanuatu, afin de soulager la crise. Le responsable des affaires humanitaires auprès des Nations unies, Mark Lowcock, a souligné la nécessité particulière de soutenir le Vanuatu à l'heure où la pandémie du Coronavirus « nous affecte tous ». La Banque mondiale a donné 10 millions de dollars (US) de fonds d'urgences au Vanuatu le 27 avril.
Fidji
Aux îles Fidji, des soldats et des policiers ont été dépêchés pour nettoyer les décombres après la tempête. Le gouvernement australien a promis 350 000 dollars australiens d'aide pour la reconstruction. Le Haut-Commissaire de la Nouvelle-Zélande aux Fidji, Jonathan Curr, a promis de l'aide humanitaire et des secours de la Nouvelle-Zélande.
Références
- (en) Cet article est partiellement ou en totalité issu de l’article de Wikipédia en anglais intitulé « Cyclone Harold » (voir la liste des auteurs).
- 1 2 (en) « Significant Tropical Weather Advisory for the Western and South Pacific Oceans April 1, 2020 06Z » [archive du ], United States Joint Typhoon Warning Center, .
- ↑ « Tropical Cyclone Harold Technical Bulletin April 2, 2020 06z » [archive du ], Bureau of Meteorology, 2 vril 2020 (consulté le ).
- ↑ (en) « Tropical Cyclone Harold Technical Bulletin April 2, 2020 18:00z » [archive du ], Bureau of Meteorology, (consulté le ).
- ↑ (en) « Tropical Cyclone 25P (Harold) Warning 1 April 2, 2020 21z » [archive du ], United States Joint Typhoon Warning Center, (consulté le ).
- ↑ (en) « Tropical Cyclone 25P (Harold) Warning 4 April 3, 2020 15z » [archive du ], United States Joint Typhoon Warning Center, (consulté le ).
- ↑ (en) « Tropical Cyclone 25P (Harold) Warning 6 April 4, 2020 03z » [archive du ], United States Joint Typhoon Warning Center, (consulté le ).
- ↑ (en) « Tropical Disturbance Advisory A4 for Tropical Cyclone Harold April 4, 2020 00z » [archive du ], Fiji Meteorological Service, (consulté le ).
- ↑ (en) « Tropical Disturbance Advisory A6 for Tropical Cyclone Harold April 4, 2020 12z » [archive du ], Fiji Meteorological Service, (consulté le ).
- 1 2 (en) « Tropical Cyclone 25P (Harold) Warning 8 April 4, 2020 15z » [archive du ], United States Joint Typhoon Warning Center, (consulté le ).
- 1 2 3 (en) « Tropical Cyclone 25P (Harold) Running Best Track Analysis », United States Joint Typhoon Warning Center, .
- ↑ (en) « Tropical Disturbance Advisory A10 for Tropical Cyclone Harold April 5, 2020 12z » [archive du ], Fiji Meteorological Service, (consulté le ).
- ↑ (en) « Tropical Disturbance Advisory A12 for Tropical Cyclone Harold April 6, 2020 00z » [archive du ], Fiji Meteorological Service, (consulté le ).
- ↑ (en) « Tropical Cyclone 25P (Harold) Warning 16 April 6, 2020 15z » [archive du ], United States Joint Typhoon Warning Center, (consulté le ).
- ↑ (en) « Storm Warning 135 April 10, 2020 06z » [archive du ], New Zealand MetService, (consulté le ).
Voir également
- Cyclone Fran (1992) - a frappé la même région avec une intensité similaire
- Cyclone Jasmine (2012) - également prénommé par la région australienne, a frappé le sud du Vanuatu
- Cyclone Pam (2015) - a touché la même région avec une intensité identique
- Cyclone Hola (2018) - a frappé le nord du Vanuatu
- Cyclone Winston (2015) - tempête la plus forte jamais enregistrée à ce jour dans l'hémisphère sud
- Cyclones tropicaux en 2020
- Portail de la météorologie
- Portail du Vanuatu
- Portail des Fidji
- Portail des Tonga
- Portail des Îles Salomon

