Cleradini
Les Cleradini sont une tribu d'insectes hétéroptères (punaises) de la famille des Rhyparochromidae (Lygaeoidea).
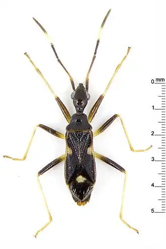
Description
Leur corps varie de court et trapu à grand avec un cou allongé. Au sein des Rhyparochrominae, les Cleradini se distinguent par des ocelles placés latéralement, en arrière des yeux. Le rostre est relativement court, son deuxième segment n'atteignant pas la base de la tête ; le troisième article antennaire est court. Les stigmates ou spiracles abdominaux sont tous ventraux. L'implantation des trichobothries du cinquième sternite (segment abdominal ventral) est en biais. La suture entre les sternites 4 et 5 atteint le connexivum (partie latérale de l'abdomen). Le troisième tergite (segment abdominal dorsal) est souvent désclérotisé. Les fémurs antérieurs sont généralement minces, le plus souvent sans épines, bien qu'il y a ait des exceptions, comme chez Prehensocoris. Les larves n'ont pas de suture transversale en « Y » vers la base de l'abdomen, mais une suture latérale le long de l'abdomen. Les œufs ont un pseudoperculum (cas unique chez les Lygaeoidea)[2].
Répartition et habitat
Les Cleradini sont restreints aux zones tropicales indo-pacifiques (Hémisphère est), à l'exception d'une espèce introduite dans l'Hémisphère ouest[2], Clerada apicicornis Signoret, retrouvée aux États-Unis, en Colombie, à la Réunion[3],[4]. La plus grande diversité se trouve en Australie, avec près de 40% de la faune mondiale, dont quatre genres et 23 espèces endémiques[5].
Les Cleradini vivent dans des nids de mammifères[2].
Biologie
Les Cleradini ont une biologie unique au sein des Rhyparochromidae (partagée peut-être avec un Udeocorini[2]) : ils habitent dans des nids de mammifères[6] (rongeurs ou marsupiaux), dont ils se nourrissent du sang, constituant ainsi l'une des quatre lignées de punaises hématophages (avec les Cimicidae, les Polyctenidae et les Triatominae, ces trois autres groupes appartenant aux Cimicomorpha)[2]. On en a également trouvés dans des nids d'oiseaux[7]. Toutefois, une étude menée sur Clerada apicicornis laisse conclure que cette espèce préfère prédater des insectes, dont des Triatominae, eux-mêmes hématophages, et que c'est plutôt à cette occasion qu'elles ingèrent du sang, en tant que « cleptohématophage »[7]. D'un point de vue évolutif, il se pourrait que ce soit par ce processus que des punaises soient passées du mode prédateur au mode hématophage, en se nourrissant par exemple sur des moustiques gorgés de sang de vertébrés[8].
L'étude estime toutefois qu'elle ne constitue pas un moyen de lutte biologique contre Rhodnius prolixus (Triatominae), vecteur de la maladie de Chagas. Leur rôle dans la transmission de pathogènes aux vertébrés semble également peu vraisemblable[7].
Chez Prehensocoris, les fémurs sont tous armés d'épines, peut-être une adaptation pour l'agripper à leur hôte[6].
Certaines espèces ont un mécanisme stridulatoire, entre un stridulitrum abdominal et un plectre sur le fémur[2].
Le groupe reste mal connu et peu souvent récolté.
Galerie
Systématique
Ce taxon a été établi en 1874 par l'entomologiste Carl Stål (1833-1878), en tant que tribu au sein des Rhyparochrominae, l'ajoutant aux autres qu'il avait déjà établi auparavant, les Lethaeini, les Drymini, les Myodochini et les Rhyparochromini (toutes décrites en 1872).
Malipatil a établi une liste mondiale, avec une clé des genres et une analyse cladistique de leurs relations[9]. Le groupe contient une vingtaine de genre et entre 50 et 60 espèces, dont 7 genres monopypiques. Le genre type est Clerada Signoret, 1862[3].
Descripteurs
Parmi les principaux descripteurs, on peut relever Malipatil, qui a décrit six des 19 genres et 21 espèces[9],[10],[11], Scudder, avec trois genres et six espèces, Distant, avec trois genres et trois espèces, Stål avec deux genres et deux espèces, Harrington avec un seul genre et cinq espèces[6], et Horváth avec quatre espèces[3]. Les autres descripteurs sont Signoret (1863), Walker (1872), White (1878), Bergroth (1895, 1914 et 1918), Breddin (1901), Usinger (1942), Deboutteville & Paulian (1952), Miller (1957), Zheng (1980), Slater (1983 et 1995), O'Donnell (1995), Blacket (2011) et Kondorosy (2013)[3].
Fossiles
Il n'y a pas de fossiles connus à ce jour[12].
Liste des genres
Selon BioLib (8 décembre 2022)[1], complété à partir de Lygaeoidea Species Files[3] :
- genre Arcleda Malipatil, 1981
- genre Austroclerada Malipatil, 1981
- genre Clerada Signoret, 1862
- genre Clerocarbus Scudder, 1969
- genre Dendezia Scudder, 1963
- genre Dyakana Distant, 1906
- genre Harmostica Bergroth, 1918
- genre Kanadyana Scudder, 1963
- genre Laticlerada Malipatil, 1981
- genre Mahisa Distant, 1906
- genre Navarrus Distant, 1901
- genre Neoclerada Malipatil, 1981
- genre Pactye Stål, 1865
- genre Panchaea Stål, 1865
- genre Paramahisa Malipatil, 1981
- genre Parapactye Malipatil, 1983
- genre Pholeolygaeus Deboutteville & Paulian, 1952
- genre Prehensocoris Harrington, 1988
- genre Reclada White, 1878
Liens externes
- (en) BioLib : Cleradini Stal, 1874 (consulté le )
- (en) Catalogue of Life : Cleradini Stal, 1874 (consulté le )
- (fr + en) GBIF : Cleradini (consulté le )
- (fr + en) ITIS : Cleradini (consulté le )
Notes et références
- 1 2 BioLib, consulté le 8 décembre 2022.
- 1 2 3 4 5 6 (en) Randall T. Schuh et Christiane Weirauch, True bugs of the world (Hemiptera, Heteroptera) : classification and natural history., Manchester, Siri Scientific Press, , 800 p. (ISBN 978-0-9957496-9-6 et 0-9957496-9-8, OCLC 1125224106, lire en ligne), p. 596-601, 604
- 1 2 3 4 5 « tribe Cleradini: Lygaeoidea Species File », sur lygaeoidea.speciesfile.org (consulté le )
- ↑ Estrella Cárdenas, Alberto Morales et Mariela Torres, « Life cycle and reproductive parameters of Clerada apicicornis signoret (Hemiptera: Lygaeidae) under laboratory conditions », Memórias do Instituto Oswaldo Cruz, vol. 96, no 1, , p. 127–131 (ISSN 0074-0276, DOI 10.1590/S0074-02762001000100015, lire en ligne, consulté le )
- ↑ (en) « Australian Faunal Directory: Rhyparochromidae », sur biodiversity.org.au (consulté le )
- 1 2 3 (en) B. J. Harrington, « Comments on the Blood-Feeding Tribe Cleradini (Hemiptera: Lygaeidae: Rhyparochrominae) and Description of a New Genus and New Species with the Legs Modified for Grasping », Annals of the Entomological Society of America, vol. 81, no 4, , p. 577–580 (ISSN 1938-2901 et 0013-8746, DOI 10.1093/aesa/81.4.577, lire en ligne, consulté le )
- 1 2 3 Mariela Torres, Estrella Cárdenas, Sandra Pérez et Alberto Morales, « Haematophagy and cleptohaematophagy of Clerada apicicornis (Hemiptera: Lygaeidae), a potential biological control agent of Rhodnius prolixus (Hemiptera: Reduviidae) », Memórias do Instituto Oswaldo Cruz, vol. 95, no 1, , p. 131–133 (ISSN 0074-0276, DOI 10.1590/S0074-02762000000100022, lire en ligne, consulté le )
- ↑ (en) C. J. Schofield et W. R. Dolling, « Bedbugs and kissing-bugs (bloodsucking Hemiptera) », dans Medical Insects and Arachnids, Springer Netherlands, (ISBN 978-94-010-4679-4, DOI 10.1007/978-94-011-1554-4_14, lire en ligne), p. 483–516
- 1 2 (en) M. B. Malipatil, « Revision of World Cleradini (Heteroptera: Lygaeidae), With a Cladistic Analysis of Relationships Within the Tribe. », Australian Journal of Zoology, vol. 31, no 2, , p. 205 (ISSN 0004-959X, DOI 10.1071/ZO9830205, lire en ligne, consulté le )
- ↑ (en) Mb Malipatil, « Revision of Australian Cleradini (Heteroptera: Lygaeidae) », Australian Journal of Zoology, vol. 29, no 5, , p. 773 (ISSN 0004-959X, DOI 10.1071/ZO9810773, lire en ligne, consulté le )
- ↑ M. B. Malipatil et M. J. Blacket, « Three new species of Cleradini from Australia (Hemiptera: Heteroptera: Rhyparochromidae) », Zootaxa, vol. 3003, no 1, , p. 43 (ISSN 1175-5334 et 1175-5326, DOI 10.11646/zootaxa.3003.1.3, lire en ligne, consulté le )
- ↑ « Rhyparochrominae », sur paleobiodb.org (consulté le )
- Portail de l’entomologie



