Archaeoteleia
Archaeoteleia
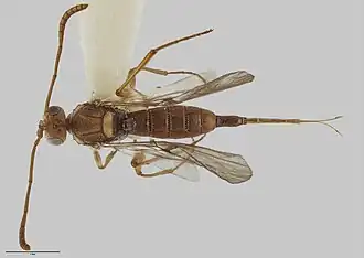
Archaeoteleia gilbertae.
Archaeoteleia est un genre d'Hyménoptères de la famille des Scelionidae.
Liste des espèces
Selon GBIF (24 octobre 2021)[1] :
- Archaeoteleia araucana Masner, 1968
- Archaeoteleia astropulvis Talamas, 2017
- Archaeoteleia chambersi Early
- Archaeoteleia dispar Masner
- Archaeoteleia gilbertae Early
- Archaeoteleia gracilis Masner, 1968
- Archaeoteleia karere Early
- Archaeoteleia mellea Masner, 1968
- Archaeoteleia novaezealandiae Masner, 1968
- Archaeoteleia onamata Early
- Archaeoteleia penai Masner
- Archaeoteleia puncticeps Masner
- Archaeoteleia pygmea Masner, 1968
- Archaeoteleia robusta Masner
- Archaeoteleia simulans Masner
- Archaeoteleia submetallica Masner
- Archaeoteleia waipoua Early
Galerie
Archaeoteleia chambersi.
Archaeoteleia gilbertae.
Archaeoteleia karere.
Archaeoteleia onamata.
Archaeoteleia waipoua.
Systématique
Ce genre est décrit sous le nom scientifique Archaeoteleia en 1968 par l'entomologiste tchèque Lubomír Masner (d) (1934-)[2].
Notes et références
- ↑ GBIF Secretariat. GBIF Backbone Taxonomy. Checklist dataset https://doi.org/10.15468/39omei accessed via GBIF.org, consulté le 24 octobre 2021.
- ↑ (en) Lubomír Masner, « A new genus of Scelionidae (Hymenoptera) with austral disjunctive distribution », New Zealand Journal of Science, vol. 11, , p. 652–663
Liens externes
- (en) Animal Diversity Web : Archaeoteleia (consulté le )
- (en) BioLib : Archaeoteleia Masner, 1968 (consulté le )
- (en) Catalogue of Life : Archaeoteleia Masner, 1968 (consulté le )
- (fr + en) EOL : Archaeoteleia (consulté le )
- (fr + en) GBIF : Archaeoteleia Masner, 1968 (consulté le )
- (en) IRMNG : Archaeoteleia Masner, 1968 † (consulté le )
- (fr + en) ITIS : Archaeoteleia Masner, 1968 (consulté le )
- (en) NCBI : Archaeoteleia (taxons inclus) (consulté le )
- (en) Paleobiology Database : Archaeoteleia Masner 1968 (consulté le )
- Portail de l’entomologie